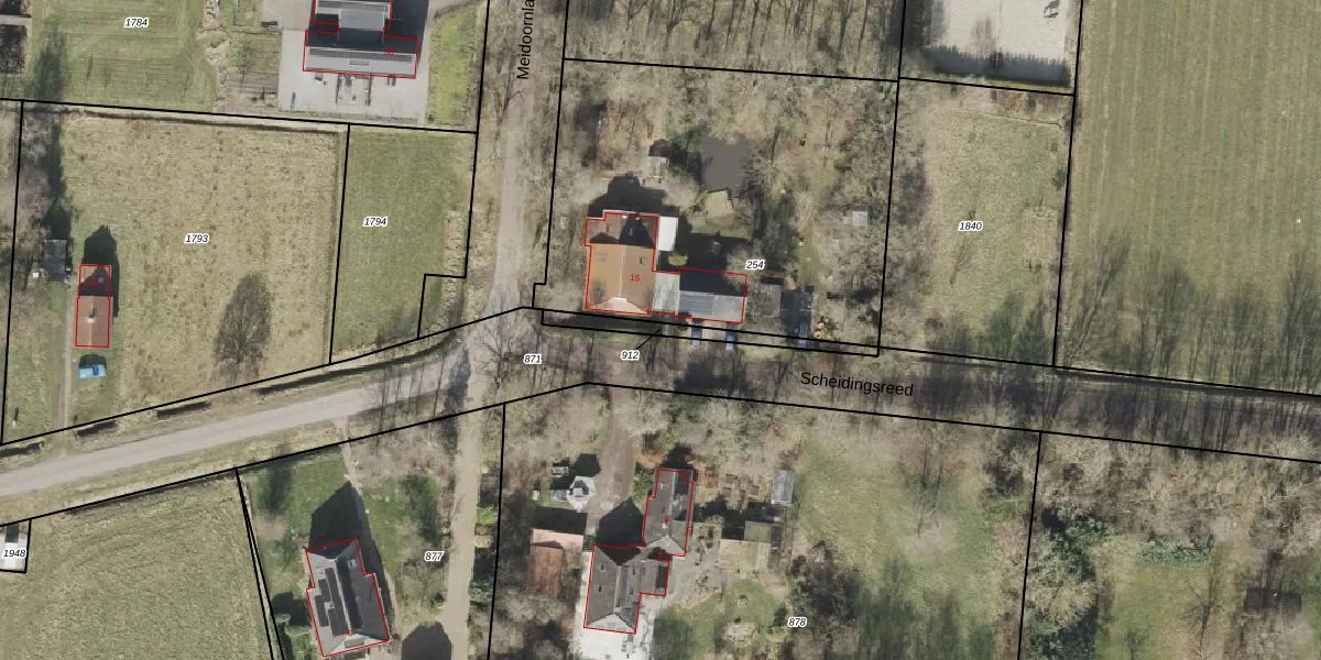
Perceel: DKB00-K-912
KadastraleKaart.com kan meer dan je denktOntdek meer ›
Filter op bestemming 50+ datasets Eigendomsdata in één klik Percelen CRM
Geen adressen bij dit perceel
53 m2 - 106 m
Eigenaar opvragen
DKB00-K-912 (Donkerbroek)
- Geen postcode aanwezig
fSVrSKhyFNtO8O03bX1I56 Upgrade naar KadastraleKaart Pro
Bekijk op Street View
Download DWG/DXF/Excel
64qRTJ4QO1HlXCUpgrade naar KadastraleKaart Pro
l7Txz359M3hoXBUpgrade naar KadastraleKaart Pro
BtcZ7y xSVUpgrade naar KadastraleKaart Pro
1JO TBPQG7uzrUpgrade naar KadastraleKaart Pro
VRt EP4zu IE 1o4 uaBtUpgrade naar KadastraleKaart Pro
2BhsY0zQIYPpkst19ntiCUpgrade naar KadastraleKaart Pro
KDcyM ssUpgrade naar KadastraleKaart Pro
3IKEHfQrfvNTgrAUpgrade naar KadastraleKaart Pro
v0Y8lvV99OMsXV40EXjjsUpgrade naar KadastraleKaart Pro
jUTi7 pxsikVUzRidqqu Upgrade naar KadastraleKaart Pro
15/01/1998

Percelen
Gebruik de zoekbalk of klik op een perceel om informatie over het perceel te bekijken.