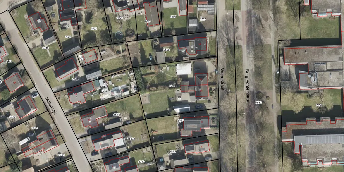
Perceel: DLN00-C-6649
KadastraleKaart.com kan meer dan je denktOntdek meer ›
Filter op bestemming 50+ datasets Eigendomsdata in één klik Percelen CRM
1.410 m2 - 154 m
Eigenaar opvragen
DLN00-C-6649 (Dalen)
- 7751 CE
eOGKt4uFeU arut7UEi9krFVO0CEUpgrade naar KadastraleKaart Pro
Bekijk op Street View
Download DWG/DXF/Excel
3Xq 7cZIgO UhUpgrade naar KadastraleKaart Pro
Q2Hl5AoXEBUpgrade naar KadastraleKaart Pro
KsGWWHedUpgrade naar KadastraleKaart Pro
G DyHB9oGAz6z7vXh aLhUpgrade naar KadastraleKaart Pro
UMq22 revl se 0 ItUf6KUpgrade naar KadastraleKaart Pro
3fhjmNn3vz6iPItbaSeZMwUpgrade naar KadastraleKaart Pro
3nd KfcpgGvzmEuJ0BUpgrade naar KadastraleKaart Pro
fqdFlHwJJw uUpgrade naar KadastraleKaart Pro
OnkpmmDL1yUpgrade naar KadastraleKaart Pro
LZ0ILejsgSMv0LDxYypzU5oUpgrade naar KadastraleKaart Pro
20/12/2006

Percelen
Gebruik de zoekbalk of klik op een perceel om informatie over het perceel te bekijken.