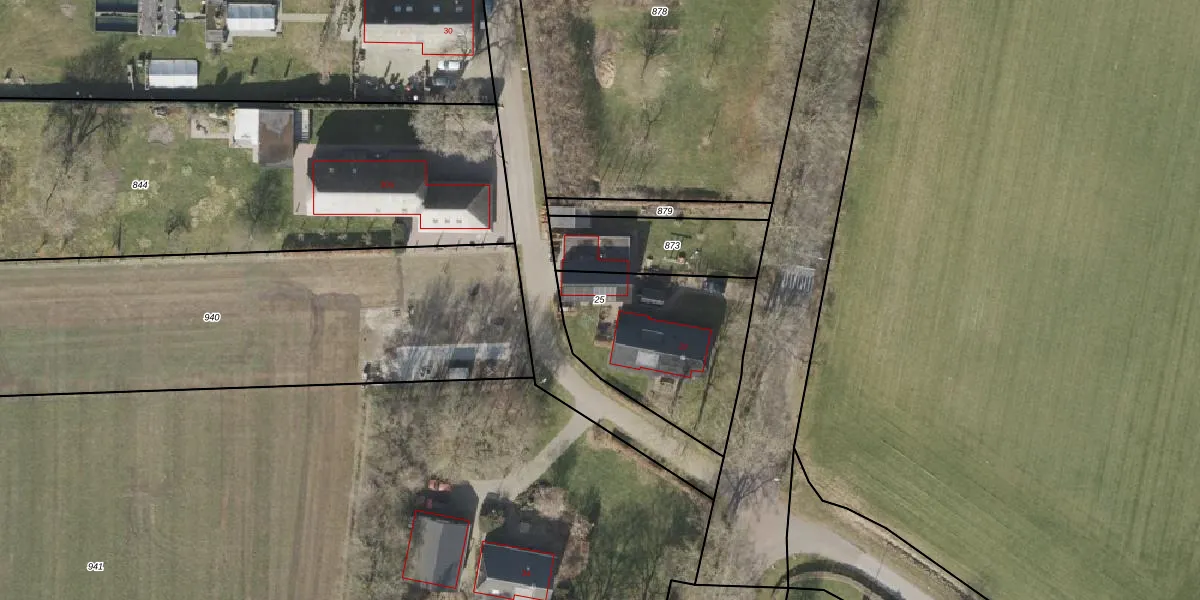
Perceel: DLN00-H-25
KadastraleKaart.com kan meer dan je denktOntdek meer ›
Filter op bestemming 50+ datasets Eigendomsdata in één klik Percelen CRM
670 m2 - 109 m
Eigenaar opvragen
DLN00-H-25 (Dalen)
- 7754 NW
frgUZ1QNvpfTWq t5hDOsuUpgrade naar KadastraleKaart Pro
Verkoopprijs opvragen
Bekijk op Street View
Download DWG/DXF/Excel
KJDaEn8EMqOzcU6Ko8E3AUpgrade naar KadastraleKaart Pro
Pu979 O6cTjUpgrade naar KadastraleKaart Pro
1qMJpqBtPeTcdUpgrade naar KadastraleKaart Pro
4Xuj GpRUpgrade naar KadastraleKaart Pro
on2Ed4qn GptY2 m9Upgrade naar KadastraleKaart Pro
8rVs OnLWhLhxqUpgrade naar KadastraleKaart Pro
v2h KAm4Upgrade naar KadastraleKaart Pro
e5YfVl KfUpgrade naar KadastraleKaart Pro
or9NMA8s4v6Upgrade naar KadastraleKaart Pro
45lyHD4YlUpgrade naar KadastraleKaart Pro
26/03/2003

Percelen
Gebruik de zoekbalk of klik op een perceel om informatie over het perceel te bekijken.