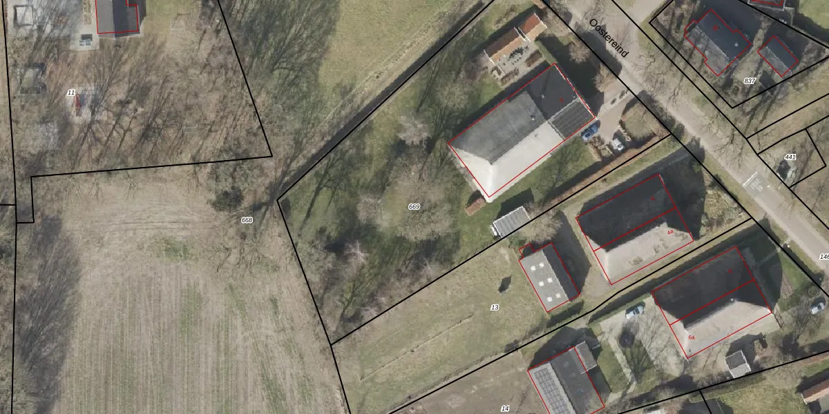
Perceel: DLN00-H-669
KadastraleKaart.com kan meer dan je denktOntdek meer ›
Filter op bestemming 50+ datasets Eigendomsdata in één klik Percelen CRM
3.920 m2 - 267 m
Eigenaar opvragen
DLN00-H-669 (Dalen)
- 7754 NW
8SxFeGkku cUw5Hq4RyzcUpgrade naar KadastraleKaart Pro
Verkoopprijs opvragen
Bekijk op Street View
Download DWG/DXF/Excel
J jM cjICVJUpgrade naar KadastraleKaart Pro
QQryMxywf5fV6Upgrade naar KadastraleKaart Pro
BJ rPrEaLSTkgV r jUpgrade naar KadastraleKaart Pro
1G y JwzoZ6Upgrade naar KadastraleKaart Pro
YHSEwBJWBDSdkVMUpgrade naar KadastraleKaart Pro
4aV4 CLmTiUg4sVRuMaYW1FUpgrade naar KadastraleKaart Pro
5miaGDkQx GljkNIwUpgrade naar KadastraleKaart Pro
K6E 8asZBkzoeUpgrade naar KadastraleKaart Pro
p4wcnJt2S967RRmjUpgrade naar KadastraleKaart Pro
pPy5GyUrQUpgrade naar KadastraleKaart Pro
26/03/2003

Percelen
Gebruik de zoekbalk of klik op een perceel om informatie over het perceel te bekijken.