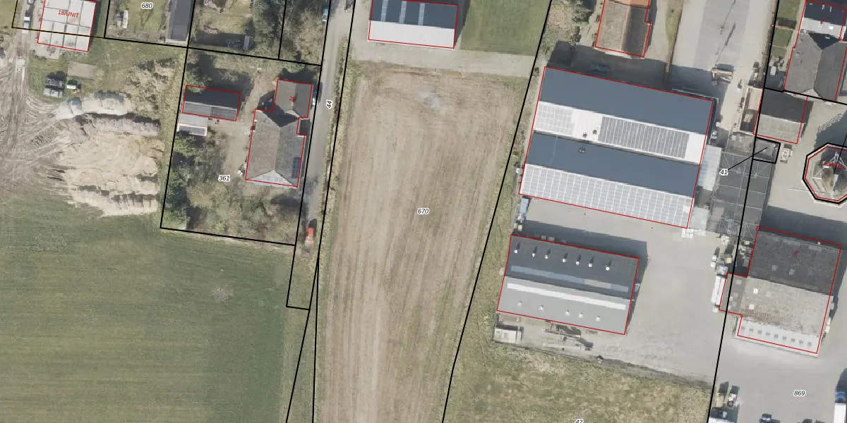
Perceel: DLN00-H-670
KadastraleKaart.com kan meer dan je denktOntdek meer ›
Filter op bestemming 50+ datasets Eigendomsdata in één klik Percelen CRM
6.040 m2 - 389 m
Eigenaar opvragen
DLN00-H-670 (Dalen)
- 7754 MD
8 l8xmFH4Q5NZYrIHraUpgrade naar KadastraleKaart Pro
Verkoopprijs opvragen
Bekijk op Street View
Download DWG/DXF/Excel
cEptSKXl2 hM7LDvYUpgrade naar KadastraleKaart Pro
vVsSNtUlJMiUJjlJNUpgrade naar KadastraleKaart Pro
J nAw8L dwL7Upgrade naar KadastraleKaart Pro
p3l3X VNZCUpgrade naar KadastraleKaart Pro
Bzau 6NU80 NHEB77I KkUpgrade naar KadastraleKaart Pro
dn8 W RFUpgrade naar KadastraleKaart Pro
mPFpyBDHog0Upgrade naar KadastraleKaart Pro
4Z 8PBAmOZ pAD0dmhCfXGVUpgrade naar KadastraleKaart Pro
N3xhEYfZcDnMjHzRCpZeUpgrade naar KadastraleKaart Pro
x odsx38tMbUpgrade naar KadastraleKaart Pro
19/05/2022

Percelen
Gebruik de zoekbalk of klik op een perceel om informatie over het perceel te bekijken.