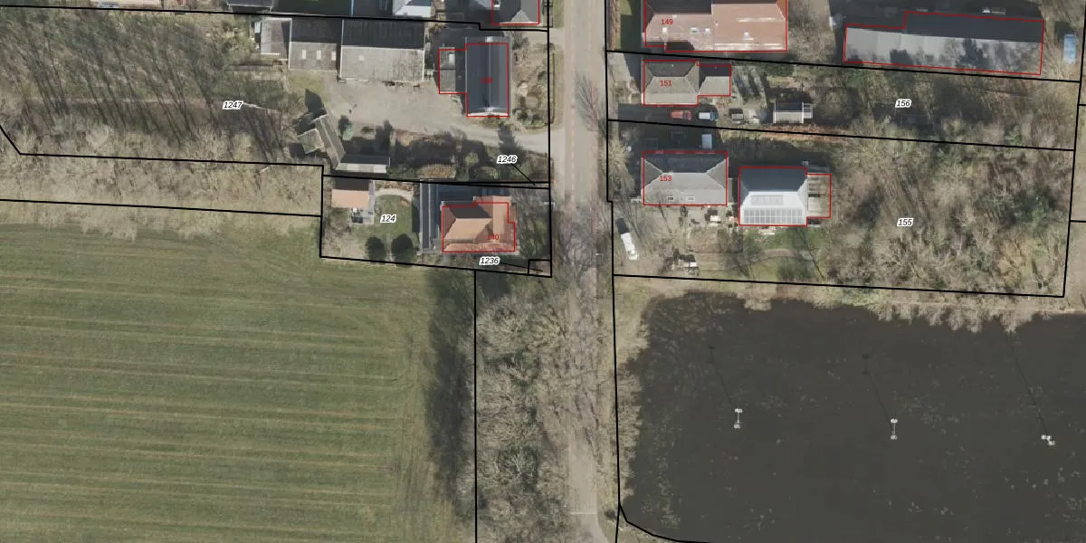
Perceel: DLN00-L-1236
Geen adressen bij dit perceel
12 m2 - 14 m
Eigenaar opvragen
DLN00-L-1236 (Dalen)
- Geen postcode aanwezig
z6T5g8VWqMS nfuue Upgrade naar KadastraleKaart Pro
Bekijk op Street View
Download DWG/DXF/Excel
WVnW8 8vIdgaLUpgrade naar KadastraleKaart Pro
4EFBhP0IUkNoLfTVJWCUpgrade naar KadastraleKaart Pro
EYkeTza 3FfUpgrade naar KadastraleKaart Pro
l1aYiGeElc ARLBUpgrade naar KadastraleKaart Pro
IwT HAWjAwBcXXYtAUpgrade naar KadastraleKaart Pro
os33ENN 6xCr4F1ZVwaneUpgrade naar KadastraleKaart Pro
CZphQoNJRjBXUpgrade naar KadastraleKaart Pro
QpxV7xZ9Wp8gnfWqZmsAv Upgrade naar KadastraleKaart Pro
k9QW TMgO9Upgrade naar KadastraleKaart Pro
T36iIBET0q308DPK HGN Upgrade naar KadastraleKaart Pro
21/01/2004

Percelen
Gebruik de zoekbalk of klik op een perceel om informatie over het perceel te bekijken.