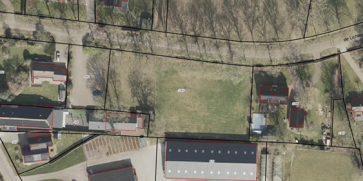
Perceel: DLN00-L-1303
Geen adressen bij dit perceel
3.201 m2 - 248 m
Eigenaar opvragen
DLN00-L-1303 (Dalen)
- Geen postcode aanwezig
nGKMLBIzqD9q4M00 k7TvUpgrade naar KadastraleKaart Pro
Bekijk op Street View
Download DWG/DXF/Excel
NqfsqDRVJFF Upgrade naar KadastraleKaart Pro
JPhu3XVNkyLgblFVdNUpgrade naar KadastraleKaart Pro
h1WQoaHCGqdZ1Upgrade naar KadastraleKaart Pro
gsIgEx9FS2AUpgrade naar KadastraleKaart Pro
ZPTL5SLUtaAztIXp5wfimSfUpgrade naar KadastraleKaart Pro
sfWFyb4zIAIP zm7fUpgrade naar KadastraleKaart Pro
APIczdBIyqx70kNLqvUlLUOUpgrade naar KadastraleKaart Pro
kRSQc3T2Upgrade naar KadastraleKaart Pro
9KpI5ngpK4Vda9YhBfUpgrade naar KadastraleKaart Pro
MJgHy94bALNNUpgrade naar KadastraleKaart Pro
25/10/2011

Percelen
Gebruik de zoekbalk of klik op een perceel om informatie over het perceel te bekijken.