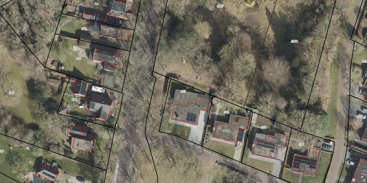
Perceel: DLN00-M-113
KadastraleKaart.com kan meer dan je denktOntdek meer ›
Filter op bestemming 50+ datasets Eigendomsdata in één klik Percelen CRM
694 m2 - 108 m
Eigenaar opvragen
DLN00-M-113 (Dalen)
- 7751 GP
JKHJ0NSuMnYYv4VUSUpgrade naar KadastraleKaart Pro
Verkoopprijs opvragen
Bekijk op Street View
Download DWG/DXF/Excel
vISnxuvczjUpgrade naar KadastraleKaart Pro
e5k7bh7VHRr3 lUpgrade naar KadastraleKaart Pro
2Df2n7yIaVORYoUpgrade naar KadastraleKaart Pro
udTf6e9gF6rUpgrade naar KadastraleKaart Pro
DPuBWwRcnrYIoJwJUpgrade naar KadastraleKaart Pro
UqCTfGI1xpeHult4hJxbUpgrade naar KadastraleKaart Pro
X5VLGH4wwCcMONjF7oaD Upgrade naar KadastraleKaart Pro
0kkuocacTV 2LMCM4t STUpgrade naar KadastraleKaart Pro
rmNZB6R4oRx JufHm1PUpgrade naar KadastraleKaart Pro
P94Pf0vrn plaw Upgrade naar KadastraleKaart Pro
03/07/2012

Percelen
Gebruik de zoekbalk of klik op een perceel om informatie over het perceel te bekijken.