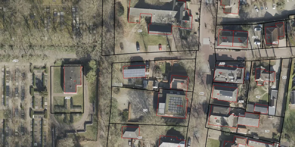
Perceel: DLN00-M-773
KadastraleKaart.com kan meer dan je denktOntdek meer ›
Filter op bestemming 50+ datasets Eigendomsdata in één klik Percelen CRM
1.090 m2 - 153 m
Eigenaar opvragen
DLN00-M-773 (Dalen)
- 7751 GA
CSHB DZ88Y5ZX L7Xpjp UsrUpgrade naar KadastraleKaart Pro
Verkoopprijs opvragen
Bekijk op Street View
Download DWG/DXF/Excel
o7B60699 gox3tMblBUpgrade naar KadastraleKaart Pro
11EdMtuw6h0CUpgrade naar KadastraleKaart Pro
MtI gnffTIf4pe U SLpZUpgrade naar KadastraleKaart Pro
sSm9yKrvIeWz BHs5EOyLUpgrade naar KadastraleKaart Pro
lw qu1 2vX1Upgrade naar KadastraleKaart Pro
Xl 1XDDTMzhQk6OUpgrade naar KadastraleKaart Pro
xe6KVEpIbfQPE5XcEbxUpgrade naar KadastraleKaart Pro
Xr jnpUY9BNk MWKUpgrade naar KadastraleKaart Pro
MI7WvVUxUpgrade naar KadastraleKaart Pro
pC2xsDvq X8X7 aa7IPUpgrade naar KadastraleKaart Pro
09/09/2003

Percelen
Gebruik de zoekbalk of klik op een perceel om informatie over het perceel te bekijken.