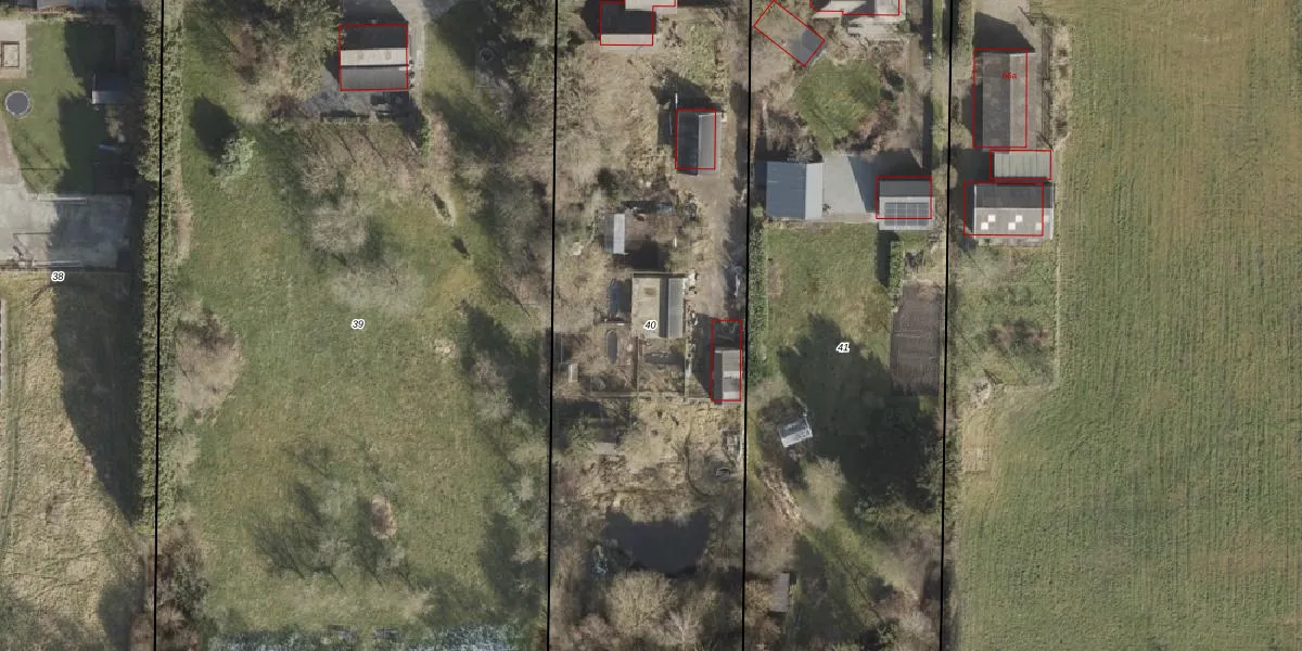
Perceel: DLN00-N-40
KadastraleKaart.com kan meer dan je denktOntdek meer ›
Filter op bestemming 50+ datasets Eigendomsdata in één klik Percelen CRM
3.910 m2 - 321 m
Eigenaar opvragen
DLN00-N-40 (Dalen)
- 7753 TS
n1v028uWIoacU8y5vTgFI8vSXgVFUpgrade naar KadastraleKaart Pro
Bekijk op Street View
Download DWG/DXF/Excel
m 8wgb 8Upgrade naar KadastraleKaart Pro
6FYLBFBsI7EbElVGZl MTyUpgrade naar KadastraleKaart Pro
iP VtVdqjUpgrade naar KadastraleKaart Pro
rgRZfrNwjRPUpgrade naar KadastraleKaart Pro
MQBFHPtriE B1tUpgrade naar KadastraleKaart Pro
f8eUZZvaJoxcG5Upgrade naar KadastraleKaart Pro
sntNY5KOmbWRkc XGDnXLUUpgrade naar KadastraleKaart Pro
TihCFY egUpgrade naar KadastraleKaart Pro
xwnXDYEFk ggU2w1HQ ISuWUpgrade naar KadastraleKaart Pro
k0ytxn8VrwJaUpgrade naar KadastraleKaart Pro
04/02/2000

Percelen
Gebruik de zoekbalk of klik op een perceel om informatie over het perceel te bekijken.