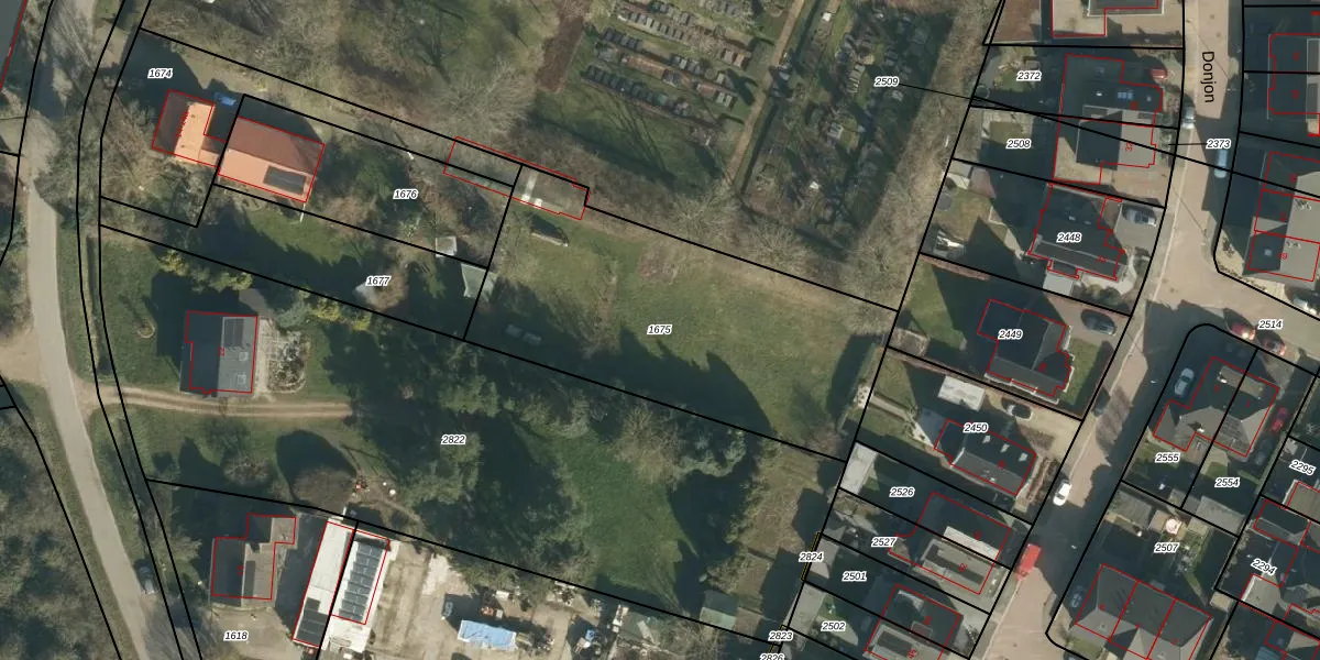
Perceel: DML02-G-1675
KadastraleKaart.com kan meer dan je denktOntdek meer ›
Filter op bestemming 50+ datasets Eigendomsdata in één klik Percelen CRM
Geen adressen bij dit perceel
1.515 m2 - 177 m
Eigenaar opvragen
DML02-G-1675 (Dreumel)
- Geen postcode aanwezig
0sVORx f WzIolqSd2 OIfvJBQhDBUpgrade naar KadastraleKaart Pro
Bekijk op Street View
Download DWG/DXF/Excel
p1tvA4v QKyAiWF fqlUUpgrade naar KadastraleKaart Pro
o7iaby hX1aJgp oodUpgrade naar KadastraleKaart Pro
79mvy0mn4rPUpgrade naar KadastraleKaart Pro
dqqpHAwrkMYETtm4d pAY 7Upgrade naar KadastraleKaart Pro
grOCAXUpgrade naar KadastraleKaart Pro
4v KAHMJ8xzPvbUpgrade naar KadastraleKaart Pro
hwsdQGe VUpgrade naar KadastraleKaart Pro
Tv6YEUoPhfyN wcm JMUpgrade naar KadastraleKaart Pro
6GR0ZvWUW7NUpgrade naar KadastraleKaart Pro
j8GSBrBA6lsHTUpgrade naar KadastraleKaart Pro
17/05/2010

Percelen
Gebruik de zoekbalk of klik op een perceel om informatie over het perceel te bekijken.