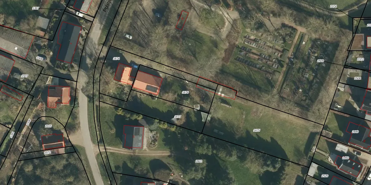
Perceel: DML02-G-1676
KadastraleKaart.com kan meer dan je denktOntdek meer ›
Filter op bestemming 50+ datasets Eigendomsdata in één klik Percelen CRM
625 m2 - 114 m
Eigenaar opvragen
DML02-G-1676 (Dreumel)
- 6621 AT
G6Fwm WGSvOlaxYw L9m UKvAHF rRKUpgrade naar KadastraleKaart Pro
Bekijk op Street View
Download DWG/DXF/Excel
j4yC3T5wiG2Yx5azUpgrade naar KadastraleKaart Pro
4ApZh1x9MUpgrade naar KadastraleKaart Pro
sTD aPnl Upgrade naar KadastraleKaart Pro
yn UBSIP WHAXkDtUpgrade naar KadastraleKaart Pro
e7 a63kz pEOWUnYA pHUpgrade naar KadastraleKaart Pro
EaimwMQ5TUpgrade naar KadastraleKaart Pro
BGaN4KP 7LLUpgrade naar KadastraleKaart Pro
o6ecFdE6Ozgn lRob MUpgrade naar KadastraleKaart Pro
uhKZIDgnQYmUpgrade naar KadastraleKaart Pro
quie 1g7HXb5Upgrade naar KadastraleKaart Pro
10/03/2000

Percelen
Gebruik de zoekbalk of klik op een perceel om informatie over het perceel te bekijken.