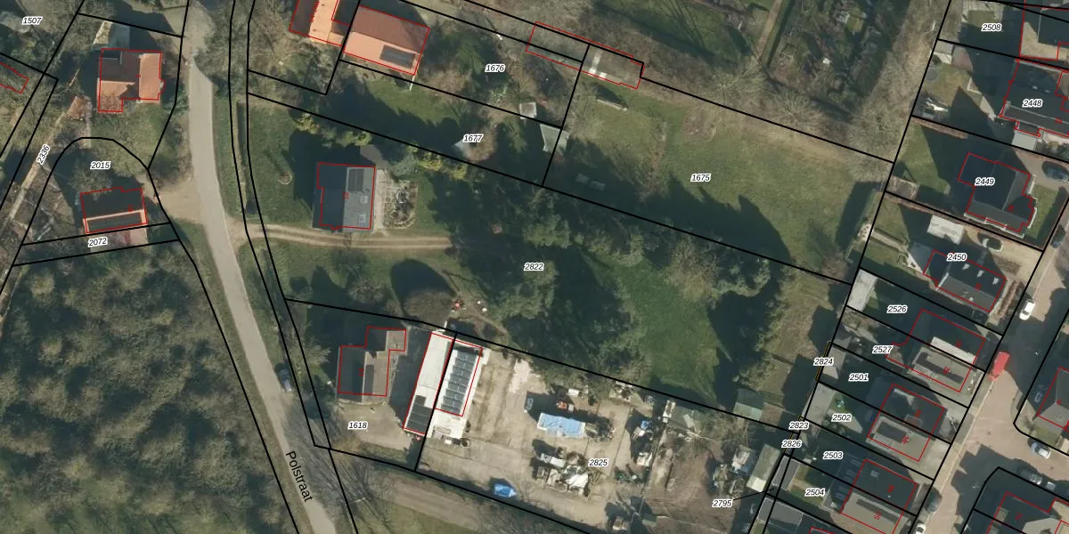
Perceel: DML02-G-2822
KadastraleKaart.com kan meer dan je denktOntdek meer ›
Filter op bestemming 50+ datasets Eigendomsdata in één klik Percelen CRM
3.510 m2 - 289 m
Eigenaar opvragen
DML02-G-2822 (Dreumel)
- 6621 AT
tH GPLg WKVZ rx5jULmx nUpgrade naar KadastraleKaart Pro
Bekijk op Street View
Download DWG/DXF/Excel
gWLJ4pddcgIGSY Upgrade naar KadastraleKaart Pro
sutMTsi90Tgv1hGB7dcUpgrade naar KadastraleKaart Pro
kzPHdrbK6CO7Z4DcpD WUpgrade naar KadastraleKaart Pro
BgW9ifNMurzy3CUi0Upgrade naar KadastraleKaart Pro
RWWoVYuZHUpgrade naar KadastraleKaart Pro
Og zuX0Rw0VQUpgrade naar KadastraleKaart Pro
OWZQEwxoCXcy rw9vZ wa4rUpgrade naar KadastraleKaart Pro
V2ofmqE0m1C cD0flDRl2Upgrade naar KadastraleKaart Pro
QMRAHnR Uq s eUpgrade naar KadastraleKaart Pro
KNh PEFY35jUpgrade naar KadastraleKaart Pro
15/08/2025

Percelen
Gebruik de zoekbalk of klik op een perceel om informatie over het perceel te bekijken.