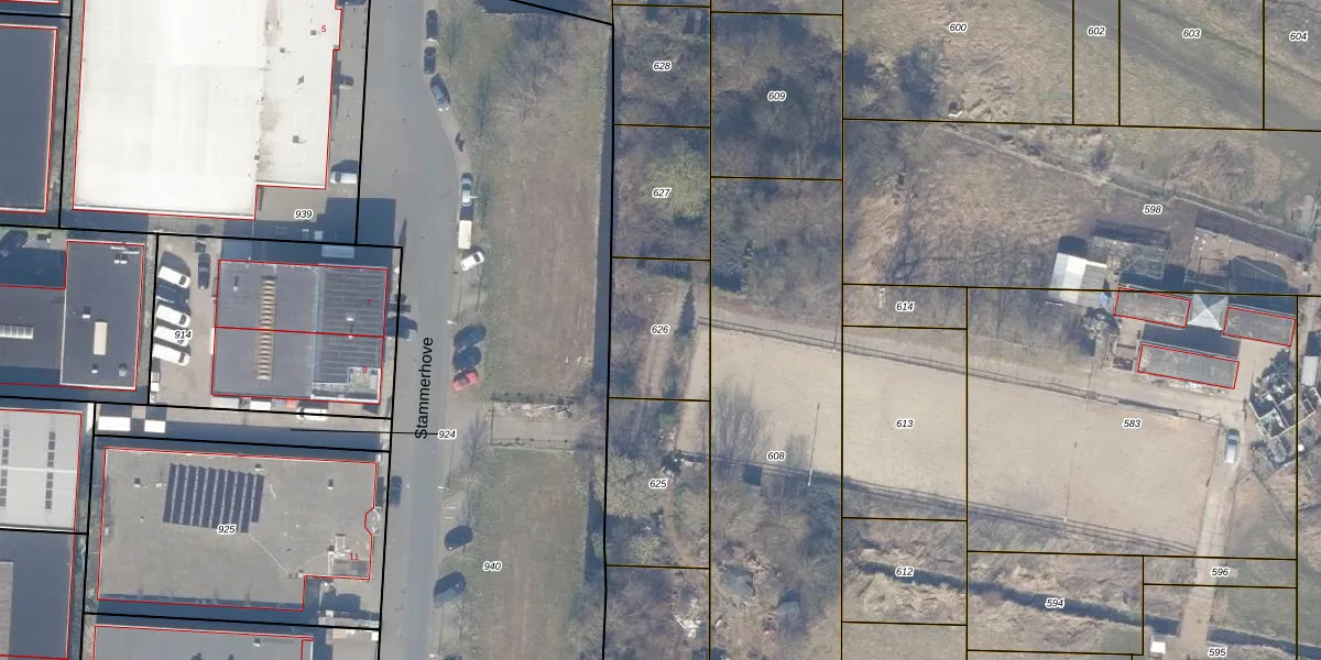
Perceel: DMN00-G-626
KadastraleKaart.com kan meer dan je denktOntdek meer ›
Filter op bestemming 50+ datasets Eigendomsdata in één klik Percelen CRM
Geen adressen bij dit perceel
325 m2 - 73 m
Eigenaar opvragen
DMN00-G-626 (Diemen)
- Geen postcode aanwezig
XHB6Yw4477wroQJV0kz cAUpgrade naar KadastraleKaart Pro
Bekijk op Street View
Download DWG/DXF/Excel
tUs 5iiaUpgrade naar KadastraleKaart Pro
B3xAMb jXVbEB5u6iW3LUpgrade naar KadastraleKaart Pro
ps4v 4B lnzh Upgrade naar KadastraleKaart Pro
3 yJnq1N1WKQQJUpgrade naar KadastraleKaart Pro
9qtiSyPEUpgrade naar KadastraleKaart Pro
OsTkCJzjIiYPnUpgrade naar KadastraleKaart Pro
L 8Ay6 ouNpYusYUpgrade naar KadastraleKaart Pro
tGG71xj7GUpgrade naar KadastraleKaart Pro
sr4ZmBlJgxFRNCP zNvU2jUpgrade naar KadastraleKaart Pro
MZX SF0FpWxUpgrade naar KadastraleKaart Pro
05/07/2022

Percelen
Gebruik de zoekbalk of klik op een perceel om informatie over het perceel te bekijken.