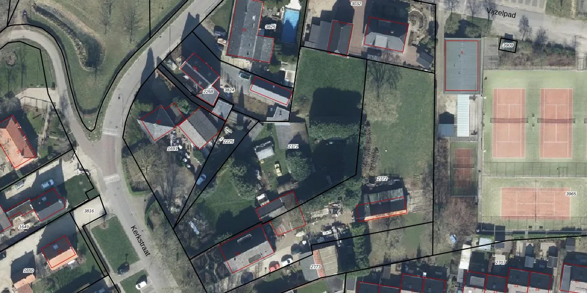
Perceel: DNB00-A-2771
KadastraleKaart.com kan meer dan je denktOntdek meer ›
Filter op bestemming 50+ datasets Eigendomsdata in één klik Percelen CRM
Geen adressen bij dit perceel
2.125 m2 - 223 m
Eigenaar opvragen
DNB00-A-2771 (Doornenburg)
- Geen postcode aanwezig
OQbvPDAcUbXxPFSyFdhx1tSUpgrade naar KadastraleKaart Pro
Bekijk op Street View
Download DWG/DXF/Excel
8gfHY Lm3s9kdG FTDe6d Upgrade naar KadastraleKaart Pro
ZCX5k63q9Z6m2zxz6baEbnYUpgrade naar KadastraleKaart Pro
ZTLU obHHX2cU3T yUEUpgrade naar KadastraleKaart Pro
Wx zClm4J1E oft OF 7y6EUpgrade naar KadastraleKaart Pro
ITuR5u5E1TANePc 1jLsUpgrade naar KadastraleKaart Pro
lQ G UATaspd4k2Upgrade naar KadastraleKaart Pro
ur1ZEMDVlph9XoZekWHUpgrade naar KadastraleKaart Pro
rrl4zPEYaWvB0JYwmo6 SMKUpgrade naar KadastraleKaart Pro
DS XHsHBUpgrade naar KadastraleKaart Pro
ltIomIv dJs8fi1Hp hMEUpgrade naar KadastraleKaart Pro
25/06/2019

Percelen
Gebruik de zoekbalk of klik op een perceel om informatie over het perceel te bekijken.