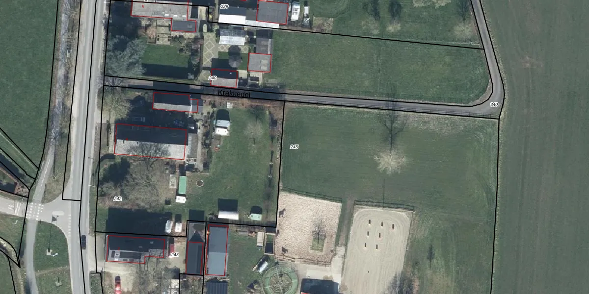
Perceel: DNB00-C-245
KadastraleKaart.com kan meer dan je denktOntdek meer ›
Filter op bestemming 50+ datasets Eigendomsdata in één klik Percelen CRM
8.955 m2 - 399 m
Eigenaar opvragen
DNB00-C-245 (Doornenburg)
- 6686 CV
PBX f4bWhGgmo lS6rrHXQ3aV6BsE CUpgrade naar KadastraleKaart Pro
Verkoopprijs opvragen
Bekijk op Street View
Download DWG/DXF/Excel
INitjaExyORg 63TB0nUpgrade naar KadastraleKaart Pro
UnxeTtd9 Upgrade naar KadastraleKaart Pro
8sJW68BbeCpQUiUpgrade naar KadastraleKaart Pro
xiw xV 8q BWclHEKCMUpgrade naar KadastraleKaart Pro
2bQwguRno8DUpgrade naar KadastraleKaart Pro
RdazoWiXwQkIOX6bbuUpgrade naar KadastraleKaart Pro
iOfBbsePIgHwNbVgj S78orUpgrade naar KadastraleKaart Pro
ATK7hs4zVBr673ebKxlNIUpgrade naar KadastraleKaart Pro
B Afb0ivJZRfgPmSQJBUpgrade naar KadastraleKaart Pro
0B2Oy0 7 rc4Upgrade naar KadastraleKaart Pro
21/02/2013

Percelen
Gebruik de zoekbalk of klik op een perceel om informatie over het perceel te bekijken.