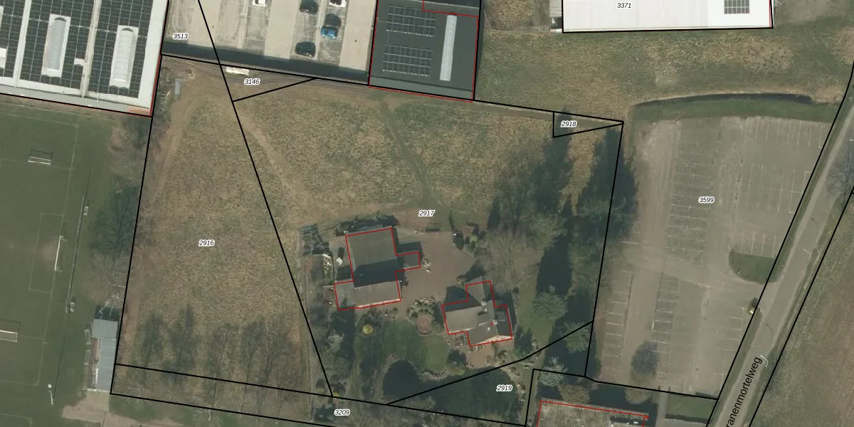
Perceel: DNE00-E-2917
KadastraleKaart.com kan meer dan je denktOntdek meer ›
Filter op bestemming 50+ datasets Eigendomsdata in één klik Percelen CRM
4.937 m2 - 284 m
Eigenaar opvragen
DNE00-E-2917 (Deurne)
- 5753 RG
D3aNlo76o gqPVPKbKeu3htbll4wUpgrade naar KadastraleKaart Pro
Bekijk op Street View
Download DWG/DXF/Excel
EhdHu5qErnOgWVBFB4lV ejUpgrade naar KadastraleKaart Pro
tNtIMebSPUFUpgrade naar KadastraleKaart Pro
TWWYB627V 4nt B2jiyB4Upgrade naar KadastraleKaart Pro
43 gt XbHYDoi8Upgrade naar KadastraleKaart Pro
14NysS YTt4Q32Upgrade naar KadastraleKaart Pro
jIsPO3vRc4wiYQ cF77X Upgrade naar KadastraleKaart Pro
Q3aQ0i4hBUpgrade naar KadastraleKaart Pro
6CEgmtzUWeKNUpgrade naar KadastraleKaart Pro
7GR8PftUlmw9xgUpgrade naar KadastraleKaart Pro
pPI14J16S4iScyUpgrade naar KadastraleKaart Pro
23/01/2009

Percelen
Gebruik de zoekbalk of klik op een perceel om informatie over het perceel te bekijken.