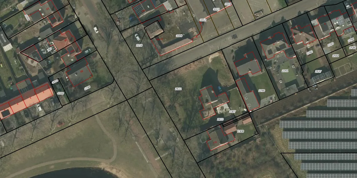
Perceel: DNE00-F-2612
KadastraleKaart.com kan meer dan je denktOntdek meer ›
Filter op bestemming 50+ datasets Eigendomsdata in één klik Percelen CRM
1.603 m2 - 160 m
Eigenaar opvragen
DNE00-F-2612 (Deurne)
- 5753 AS
nR3tOvafZWX1Pe 7UnS5x mxUpgrade naar KadastraleKaart Pro
Verkoopprijs opvragen
Bekijk op Street View
Download DWG/DXF/Excel
z0AN rWKGWEtUpgrade naar KadastraleKaart Pro
5n92wZzJnMRQ M66xhUpgrade naar KadastraleKaart Pro
AKjk0vJuxUpgrade naar KadastraleKaart Pro
QqhmJwgJ0s6WPUpgrade naar KadastraleKaart Pro
kWwiUPFelbGj0ZdejvQFoUpgrade naar KadastraleKaart Pro
XHvAc8UH sNL2lUpgrade naar KadastraleKaart Pro
nihjrM6CiSf7k3vbvUpgrade naar KadastraleKaart Pro
f Zt2oD8ZzQrmss hUpgrade naar KadastraleKaart Pro
3EfspxNb CLVwY Upgrade naar KadastraleKaart Pro
6SP00ktOeUH3eF 8Upgrade naar KadastraleKaart Pro
09/01/2023

Percelen
Gebruik de zoekbalk of klik op een perceel om informatie over het perceel te bekijken.