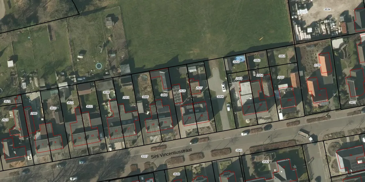
Perceel: DNE00-I-2516
KadastraleKaart.com kan meer dan je denktOntdek meer ›
Filter op bestemming 50+ datasets Eigendomsdata in één klik Percelen CRM
406 m2 - 100 m
Eigenaar opvragen
DNE00-I-2516 (Deurne)
- 5758 SB
bicgYxD7cAz8sHNSQuUpgrade naar KadastraleKaart Pro
Bekijk op Street View
Download DWG/DXF/Excel
3 RM XtQTNY3uQo3kNl TUpgrade naar KadastraleKaart Pro
QktYx sIUpgrade naar KadastraleKaart Pro
fK52KO QJ w2mLHNly0y3Upgrade naar KadastraleKaart Pro
8oVbdw8l0I Upgrade naar KadastraleKaart Pro
dJ5mTwBF6qIiTUpgrade naar KadastraleKaart Pro
uOBCfnKWTkfl9qUpgrade naar KadastraleKaart Pro
7rUMnQu2hduVJeZUpgrade naar KadastraleKaart Pro
aCHylnU24Saaeu5whgPUpgrade naar KadastraleKaart Pro
vLKqZXkm4LCk 9gz6SUpgrade naar KadastraleKaart Pro
xZbtnET89r8 kYUpgrade naar KadastraleKaart Pro
09/04/2008

Percelen
Gebruik de zoekbalk of klik op een perceel om informatie over het perceel te bekijken.