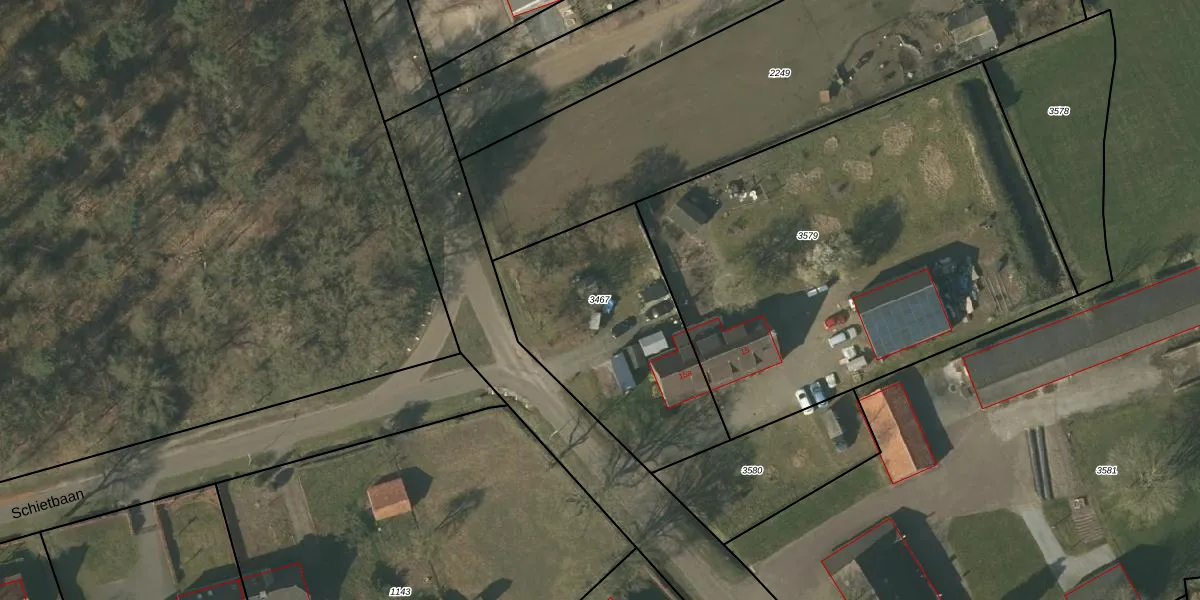
Perceel: DNE00-I-3467
KadastraleKaart.com kan meer dan je denktOntdek meer ›
Filter op bestemming 50+ datasets Eigendomsdata in één klik Percelen CRM
950 m2 - 128 m
Eigenaar opvragen
DNE00-I-3467 (Deurne)
- 5758 PV
k BmRSkx6HzvtX5f yiSUQ oUpgrade naar KadastraleKaart Pro
Verkoopprijs opvragen
Bekijk op Street View
Download DWG/DXF/Excel
Ow8s 70W5sUpgrade naar KadastraleKaart Pro
bKuR4 wvUpgrade naar KadastraleKaart Pro
8d Yil9knV 2SlhUpgrade naar KadastraleKaart Pro
LOB3xWmGUpgrade naar KadastraleKaart Pro
vtj9fHaIFQIWuBuaGOfITUpgrade naar KadastraleKaart Pro
vaHILGj3iUpgrade naar KadastraleKaart Pro
KGRkscqheb q 5aUpgrade naar KadastraleKaart Pro
x4 Ke6cOHYJUtI4cUCUpgrade naar KadastraleKaart Pro
MTEbIaUV2XO4Zmw6JRzUpgrade naar KadastraleKaart Pro
pqzrY F brMnntaUpgrade naar KadastraleKaart Pro
05/03/2010

Percelen
Gebruik de zoekbalk of klik op een perceel om informatie over het perceel te bekijken.