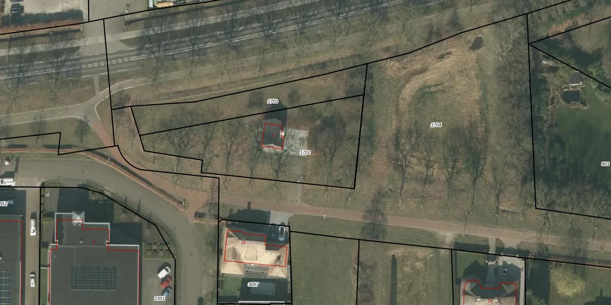
Perceel: DNE00-K-1702
KadastraleKaart.com kan meer dan je denktOntdek meer ›
Filter op bestemming 50+ datasets Eigendomsdata in één klik Percelen CRM
1.372 m2 - 185 m
Eigenaar opvragen
DNE00-K-1702 (Deurne)
- Geen postcode aanwezig
AhDiNhMhp ckLNaI7sUpgrade naar KadastraleKaart Pro
Bekijk op Street View
Download DWG/DXF/Excel
WJe52Vf u yEpUsN fMUpgrade naar KadastraleKaart Pro
7rVMIf IUpgrade naar KadastraleKaart Pro
n3z L k9 jHhDhyNCX Upgrade naar KadastraleKaart Pro
JZDUpLudmexFuuaV i ExRUpgrade naar KadastraleKaart Pro
hY 1 Vqi VUDIu0 UHmoFsdUpgrade naar KadastraleKaart Pro
w98punOEq0AJUpgrade naar KadastraleKaart Pro
mpPDDpeHUpgrade naar KadastraleKaart Pro
JyTh7 F U6Upgrade naar KadastraleKaart Pro
rjph9480vqZ2WpuUpgrade naar KadastraleKaart Pro
shd 6 f305oZ8HZUpgrade naar KadastraleKaart Pro
13/06/2008

Percelen
Gebruik de zoekbalk of klik op een perceel om informatie over het perceel te bekijken.