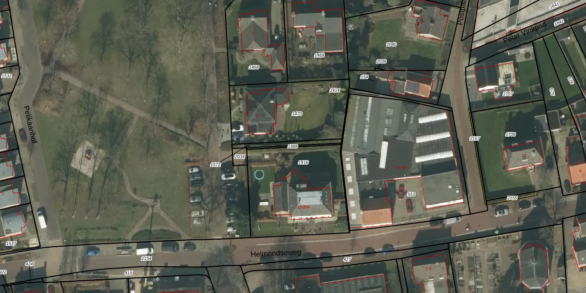
Perceel: DNE00-K-1988
KadastraleKaart.com kan meer dan je denktOntdek meer ›
Filter op bestemming 50+ datasets Eigendomsdata in één klik Percelen CRM
Geen adressen bij dit perceel
16 m2 - 66 m
Eigenaar opvragen
DNE00-K-1988 (Deurne)
- Geen postcode aanwezig
9f3S0y63ppeI kKVazysEkkGUpgrade naar KadastraleKaart Pro
Bekijk op Street View
Download DWG/DXF/Excel
IzHma2sMQcZJuRdYUpgrade naar KadastraleKaart Pro
AEZH9lj l tUpgrade naar KadastraleKaart Pro
GsSY8tnW3Upgrade naar KadastraleKaart Pro
AHue 49YTGDHu9vLotHn Upgrade naar KadastraleKaart Pro
EL0T G O9NTwC1OzFymFUpgrade naar KadastraleKaart Pro
XA0OnB2OQ IApgrgUpgrade naar KadastraleKaart Pro
V6jDc3Tx0Nj539bt3s ehUpgrade naar KadastraleKaart Pro
FSNKa bF8VCrqPUpgrade naar KadastraleKaart Pro
0u5GDM NDqUpgrade naar KadastraleKaart Pro
pq1DdNfFXJZT Upgrade naar KadastraleKaart Pro
04/07/2016

Percelen
Gebruik de zoekbalk of klik op een perceel om informatie over het perceel te bekijken.