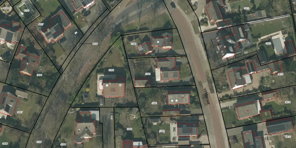
Perceel: DNE00-L-1581
KadastraleKaart.com kan meer dan je denktOntdek meer ›
Filter op bestemming 50+ datasets Eigendomsdata in één klik Percelen CRM
828 m2 - 123 m
Eigenaar opvragen
DNE00-L-1581 (Deurne)
- 5751 AC
rrCA5dxObjXa7y IAqbpXDWHiUpgrade naar KadastraleKaart Pro
Verkoopprijs opvragen
Bekijk op Street View
Download DWG/DXF/Excel
Hhc0xslhkGdYSdstXa WUpgrade naar KadastraleKaart Pro
dMQpERCUs6TUpgrade naar KadastraleKaart Pro
cFrkAL7sp9yNFUpgrade naar KadastraleKaart Pro
Jd3VozQsWJ QmHUpgrade naar KadastraleKaart Pro
cTGal2TIWHg5mUpgrade naar KadastraleKaart Pro
hTN1DY9GXiuGhzUpgrade naar KadastraleKaart Pro
shWXEI k gUpgrade naar KadastraleKaart Pro
qwke5GoOBItGlYFwzAjXUpgrade naar KadastraleKaart Pro
kxROxL0n5 UUpgrade naar KadastraleKaart Pro
2UsjdgGPyL9GCekqrUpgrade naar KadastraleKaart Pro
16/06/2008

Percelen
Gebruik de zoekbalk of klik op een perceel om informatie over het perceel te bekijken.