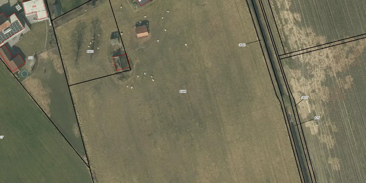
Perceel: DNE00-L-6544
KadastraleKaart.com kan meer dan je denktOntdek meer ›
Filter op bestemming 50+ datasets Eigendomsdata in één klik Percelen CRM
22.164 m2 - 690 m
Eigenaar opvragen
DNE00-L-6544 (Deurne)
- 5754 RC
K qj0X1gB9EMi GDTj5ZLTvk5RUpgrade naar KadastraleKaart Pro
Verkoopprijs opvragen
Bekijk op Street View
Download DWG/DXF/Excel
vT27Pki5jzluzruUpgrade naar KadastraleKaart Pro
BCsruK1ptqil4DxoFpClidUpgrade naar KadastraleKaart Pro
e7 W2UzrErOgkRbRpDheOOUpgrade naar KadastraleKaart Pro
6YuJH2rXzsUpgrade naar KadastraleKaart Pro
PBwDYkYeqEgWjeyleTTDVzUpgrade naar KadastraleKaart Pro
LMk9Xgy K3Upgrade naar KadastraleKaart Pro
IYRdMonDUpgrade naar KadastraleKaart Pro
BPVnCU4DyqUpgrade naar KadastraleKaart Pro
snSx bE4a0qXS pUpgrade naar KadastraleKaart Pro
3NxX91Z43bCUpgrade naar KadastraleKaart Pro
14/05/2008

Percelen
Gebruik de zoekbalk of klik op een perceel om informatie over het perceel te bekijken.