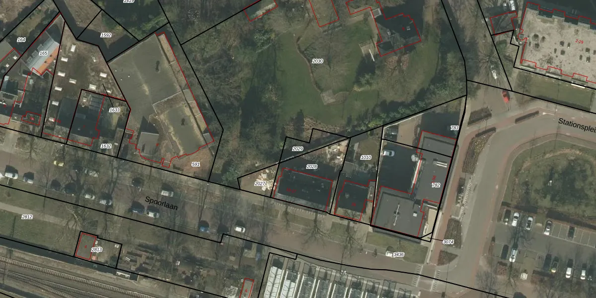
Perceel
Oppervlakte
110 m²
Aantal adressen
Geen adressen
Aanduiding
DNE00-M-2029 - Deurne
Verkocht in
Onbekend
Eigendom
Eigenaar
Eigenaar opvragen
Type eigenaar
HDWdDrv8ng6xf 9itkUwLUpgrade naar KadastraleKaart Pro
Appartementsrechten
Identificatie
PUw2 0 HG4mJm VFwxNFn Upgrade naar KadastraleKaart Pro
Gerelateerde percelen
Aanduiding
kcFCpER DWVz cUpgrade naar KadastraleKaart Pro
Ligging
Meer functies

Percelen
Gebruik de zoekbalk of klik op een perceel om informatie over het perceel te bekijken.