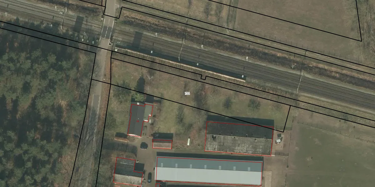
Perceel: DNE00-Q-721
KadastraleKaart.com kan meer dan je denktOntdek meer ›
Filter op bestemming 50+ datasets Eigendomsdata in één klik Percelen CRM
Geen adressen bij dit perceel
1.345 m2 - 224 m
Eigenaar opvragen
DNE00-Q-721 (Deurne)
- Geen postcode aanwezig
jmYU0f8jXx4Ic6jB LA0sUpgrade naar KadastraleKaart Pro
Bekijk op Street View
Download DWG/DXF/Excel
yJPtQbPWylSPF D NUpgrade naar KadastraleKaart Pro
ZjxSzOi8UhZ dPQ6w9QqUpgrade naar KadastraleKaart Pro
k8qtX0rINOVIebUpgrade naar KadastraleKaart Pro
MWIe6O2RaddNtTb0HP5MnGeUpgrade naar KadastraleKaart Pro
qb0o4oG CMHenr N8 EuLUpgrade naar KadastraleKaart Pro
2cGdb BvQPeelxFW8CUpgrade naar KadastraleKaart Pro
E2mBP8bMUpgrade naar KadastraleKaart Pro
XRXTGKdUikeUpgrade naar KadastraleKaart Pro
Xv TY4 hcWQY2kUUpgrade naar KadastraleKaart Pro
gCeVt3 jeUpgrade naar KadastraleKaart Pro
08/04/2008

Percelen
Gebruik de zoekbalk of klik op een perceel om informatie over het perceel te bekijken.