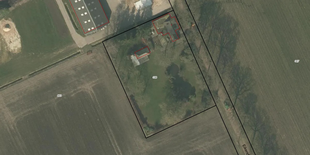
Perceel: DNE00-R-338
KadastraleKaart.com kan meer dan je denktOntdek meer ›
Filter op bestemming 50+ datasets Eigendomsdata in één klik Percelen CRM
3.370 m2 - 236 m
Eigenaar opvragen
DNE00-R-338 (Deurne)
- 5757 PK
4UxEwpUAH3D6FrpOJ uUpgrade naar KadastraleKaart Pro
Verkoopprijs opvragen
Bekijk op Street View
Download DWG/DXF/Excel
keLF Mhw4LL3Upgrade naar KadastraleKaart Pro
Jp yodzjUpgrade naar KadastraleKaart Pro
ktDDPUgvUpgrade naar KadastraleKaart Pro
Y mtHkw DUpgrade naar KadastraleKaart Pro
y8iamTBNusCBKHT53x9wAztUpgrade naar KadastraleKaart Pro
amAXkimrGUpgrade naar KadastraleKaart Pro
jf5AD2 lMEdZFUpgrade naar KadastraleKaart Pro
yAjIB 5qKE9OiDFbwrRqjXuUpgrade naar KadastraleKaart Pro
FUZKI KD4gOVl6Yp5fU4Upgrade naar KadastraleKaart Pro
rLq1 IG t5Upgrade naar KadastraleKaart Pro
23/11/2001

Percelen
Gebruik de zoekbalk of klik op een perceel om informatie over het perceel te bekijken.