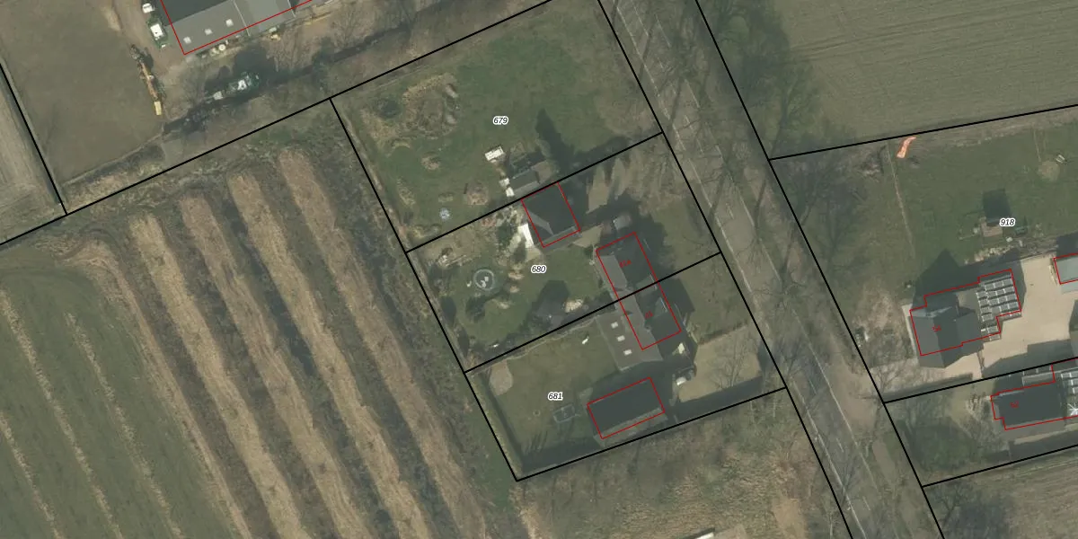
Perceel: DNE00-R-680
KadastraleKaart.com kan meer dan je denktOntdek meer ›
Filter op bestemming 50+ datasets Eigendomsdata in één klik Percelen CRM
1.240 m2 - 155 m
Eigenaar opvragen
DNE00-R-680 (Deurne)
- 5757 AB
Uv6H1PONK4cyKszxYIFFAGg8 Upgrade naar KadastraleKaart Pro
Bekijk op Street View
Download DWG/DXF/Excel
Kvlo qCSmUpgrade naar KadastraleKaart Pro
H0 g9Nm1CU YSvdU6DgFUpgrade naar KadastraleKaart Pro
1MFn7MbApOqcUpgrade naar KadastraleKaart Pro
Tc hqcQTSUAAFb rJWUpgrade naar KadastraleKaart Pro
ngsztbHjNhYkmPh iUpgrade naar KadastraleKaart Pro
9IV iT4D JnRb8QybA24fUpgrade naar KadastraleKaart Pro
auZXe1EMmUBKHrXv nRUpgrade naar KadastraleKaart Pro
wZhFpTE9 5DGUpgrade naar KadastraleKaart Pro
zBUD LRXvgAZLKN0HOKmLHUpgrade naar KadastraleKaart Pro
VshK66CTxcSOmlUpgrade naar KadastraleKaart Pro
14/04/2008

Percelen
Gebruik de zoekbalk of klik op een perceel om informatie over het perceel te bekijken.