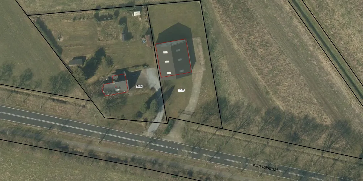
Perceel: DNE00-T-1025
KadastraleKaart.com kan meer dan je denktOntdek meer ›
Filter op bestemming 50+ datasets Eigendomsdata in één klik Percelen CRM
Geen adressen bij dit perceel
1.980 m2 - 202 m
Eigenaar opvragen
DNE00-T-1025 (Deurne)
- Geen postcode aanwezig
CEo4zbOYScMArx0z1Md ssiAN wqUpgrade naar KadastraleKaart Pro
Bekijk op Street View
Download DWG/DXF/Excel
4CS1nY1PW0ja7ToUGz7QIUpgrade naar KadastraleKaart Pro
2ksr8isRenjUpgrade naar KadastraleKaart Pro
Jb eP aP y 7Upgrade naar KadastraleKaart Pro
VDx eoU8XUpgrade naar KadastraleKaart Pro
8O 7dXKWOp55ZnQChuXeUpgrade naar KadastraleKaart Pro
negpBvWmuUpgrade naar KadastraleKaart Pro
z42N3SaorwGiCC5V1VCHUpgrade naar KadastraleKaart Pro
M5iTDHZOz i8kdPEzVl1Upgrade naar KadastraleKaart Pro
fWvljJFtnwOQb8bHuib2hUpgrade naar KadastraleKaart Pro
ZC2px 2MnUpgrade naar KadastraleKaart Pro
21/05/2019

Percelen
Gebruik de zoekbalk of klik op een perceel om informatie over het perceel te bekijken.