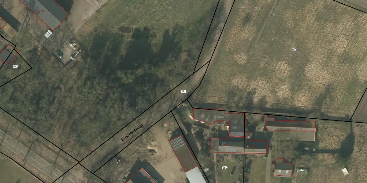
Perceel: DNE00-T-381
KadastraleKaart.com kan meer dan je denktOntdek meer ›
Filter op bestemming 50+ datasets Eigendomsdata in één klik Percelen CRM
Geen adressen bij dit perceel
760 m2 - 191 m
Eigenaar opvragen
DNE00-T-381 (Deurne)
- Geen postcode aanwezig
uIq4BRFoO H9rVfI D532pz GJmv 2Upgrade naar KadastraleKaart Pro
Bekijk op Street View
Download DWG/DXF/Excel
48Mg684yAUpgrade naar KadastraleKaart Pro
j6IWz5 3YTaUpgrade naar KadastraleKaart Pro
xNQM kvYZAu3KN9nq6HolZ5Upgrade naar KadastraleKaart Pro
aw6qvNpjZTWr6kUpgrade naar KadastraleKaart Pro
aNQf WkHL8Upgrade naar KadastraleKaart Pro
GSowcmkWPUpgrade naar KadastraleKaart Pro
k4eCYk 5KalMYj 1wyO1V6Upgrade naar KadastraleKaart Pro
B 5uJ8IUnzo diEWs2mTRg1Upgrade naar KadastraleKaart Pro
Wv G FS2BvwUpgrade naar KadastraleKaart Pro
S ChuU Faoxp9UH b0Upgrade naar KadastraleKaart Pro
10/03/2008

Percelen
Gebruik de zoekbalk of klik op een perceel om informatie over het perceel te bekijken.