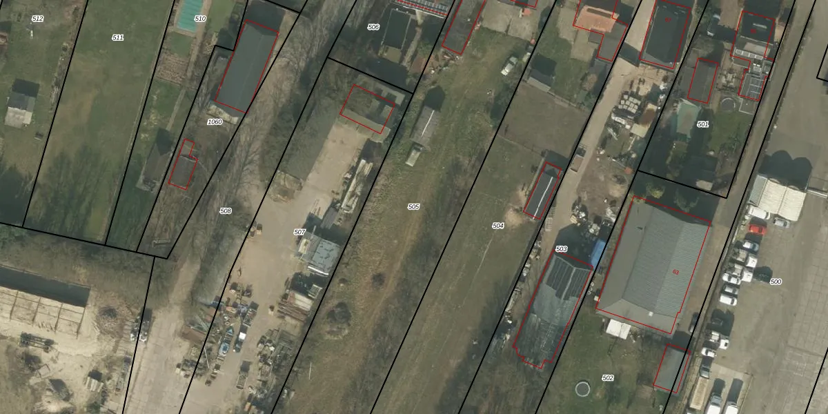
Perceel: DNE00-T-505
KadastraleKaart.com kan meer dan je denktOntdek meer ›
Filter op bestemming 50+ datasets Eigendomsdata in één klik Percelen CRM
3.160 m2 - 363 m
Eigenaar opvragen
DNE00-T-505 (Deurne)
- 5757 BJ
PihQa3MJQ9YSK3bHRwmTGJ jsjEM rUpgrade naar KadastraleKaart Pro
Bekijk op Street View
Download DWG/DXF/Excel
VEJQBK J3B6CWO945GpdTuUpgrade naar KadastraleKaart Pro
EO u ooHdUpgrade naar KadastraleKaart Pro
02kocooUUn1Sj55uXPwZr3Upgrade naar KadastraleKaart Pro
hCjrZ 5R8qG0jL72 XCFUpgrade naar KadastraleKaart Pro
BNwN9nCg0eUpgrade naar KadastraleKaart Pro
lMLCuLaodP4w8uCm3Upgrade naar KadastraleKaart Pro
8nMxY7 Eit1WtNTKlufxUpgrade naar KadastraleKaart Pro
sN DqJ1W S4tJ1oMk HKUpgrade naar KadastraleKaart Pro
IvW Q5yoirfF4M7swi JUpgrade naar KadastraleKaart Pro
G2eXq iSpEvevYJZIUpgrade naar KadastraleKaart Pro
29/11/2001

Percelen
Gebruik de zoekbalk of klik op een perceel om informatie over het perceel te bekijken.