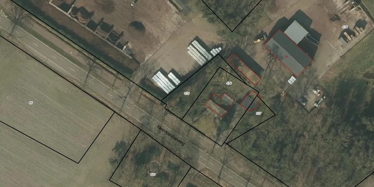
Perceel: DNE00-T-575
KadastraleKaart.com kan meer dan je denktOntdek meer ›
Filter op bestemming 50+ datasets Eigendomsdata in één klik Percelen CRM
Geen adressen bij dit perceel
429 m2 - 131 m
Eigenaar opvragen
DNE00-T-575 (Deurne)
- Geen postcode aanwezig
N76m9 TTabDPaiJ0SUpgrade naar KadastraleKaart Pro
Bekijk op Street View
Download DWG/DXF/Excel
HkVf16Kb1 FbUpgrade naar KadastraleKaart Pro
A0Sk6DXDNr52 dIw Q NUpgrade naar KadastraleKaart Pro
nENvguF8qWpjqRUpgrade naar KadastraleKaart Pro
QWJi0UGMf xhuKf1n6oUpgrade naar KadastraleKaart Pro
4 sI2m jvCoHUpgrade naar KadastraleKaart Pro
7en8sicoUpgrade naar KadastraleKaart Pro
h5Y44z0r7wAGmEOMT GUpgrade naar KadastraleKaart Pro
RJD2ObgdCUpgrade naar KadastraleKaart Pro
x6JQVwyltGCreHCpSpQwUpgrade naar KadastraleKaart Pro
6 DJ2n jUpgrade naar KadastraleKaart Pro
10/03/2008

Percelen
Gebruik de zoekbalk of klik op een perceel om informatie over het perceel te bekijken.