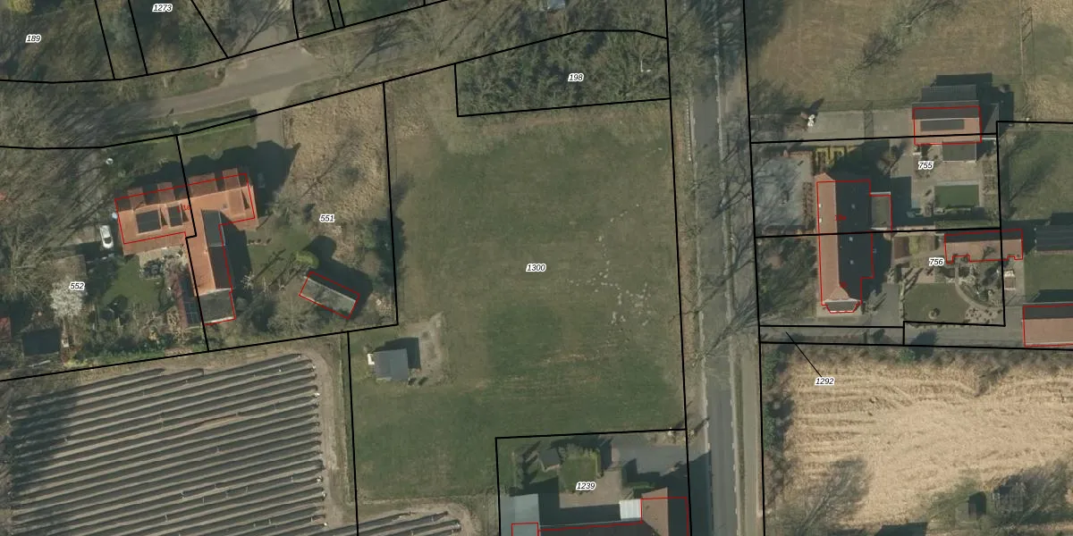
Perceel: DNE00-U-1300
KadastraleKaart.com kan meer dan je denktOntdek meer ›
Filter op bestemming 50+ datasets Eigendomsdata in één klik Percelen CRM
Geen adressen bij dit perceel
4.520 m2 - 337 m
Eigenaar opvragen
DNE00-U-1300 (Deurne)
- Geen postcode aanwezig
9zzcFYRXg8 sL2aNK MRbOe9WUpgrade naar KadastraleKaart Pro
Bekijk op Street View
Download DWG/DXF/Excel
oB xZlf71DNYUpgrade naar KadastraleKaart Pro
OGz46YIOP 8CUpgrade naar KadastraleKaart Pro
0TytEw nyspN0lUpgrade naar KadastraleKaart Pro
dSlxg4a7d PIe4NUpgrade naar KadastraleKaart Pro
mXSffkbKDXBSKWUpgrade naar KadastraleKaart Pro
XUftKOLsQVIPnWi AHe5RUpgrade naar KadastraleKaart Pro
EYyi5dW1zx3d5c3B UYTdUpgrade naar KadastraleKaart Pro
bCEt3A zVpOCUpgrade naar KadastraleKaart Pro
qlD1W ZE mMUpgrade naar KadastraleKaart Pro
T44xxf79v2L872Upgrade naar KadastraleKaart Pro
05/06/2025

Percelen
Gebruik de zoekbalk of klik op een perceel om informatie over het perceel te bekijken.