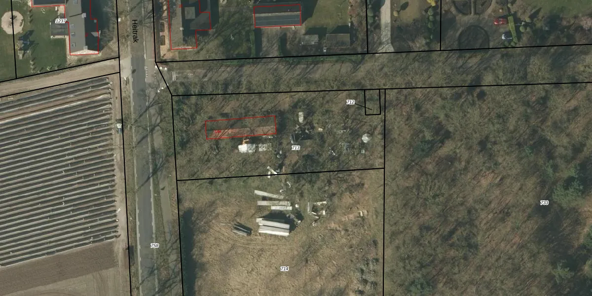
Perceel: DNE00-U-713
KadastraleKaart.com kan meer dan je denktOntdek meer ›
Filter op bestemming 50+ datasets Eigendomsdata in één klik Percelen CRM
1.985 m2 - 215 m
Eigenaar opvragen
DNE00-U-713 (Deurne)
- 5758 PB
XKE7op47NnEXy9ULsSWM NonGV OBMxUpgrade naar KadastraleKaart Pro
Bekijk op Street View
Download DWG/DXF/Excel
6 G5f FW4dgrOzjUpgrade naar KadastraleKaart Pro
a dYDKs R jUpgrade naar KadastraleKaart Pro
FP9fWjNbcNUpgrade naar KadastraleKaart Pro
9icy Sb2DM7CBiEUpgrade naar KadastraleKaart Pro
GTc bDW djw B3cfwUpgrade naar KadastraleKaart Pro
3AicYAg0H1sIHPS76r3Upgrade naar KadastraleKaart Pro
E5RP9OCY1S2vnABhj Qu5AUpgrade naar KadastraleKaart Pro
ZAC MSlm 7WZ0BpaW9QUpgrade naar KadastraleKaart Pro
vaT0gly7TF1Rah3bqbz8xUpgrade naar KadastraleKaart Pro
M053Ak03BkWZqTFfkUpgrade naar KadastraleKaart Pro
03/04/2008

Percelen
Gebruik de zoekbalk of klik op een perceel om informatie over het perceel te bekijken.