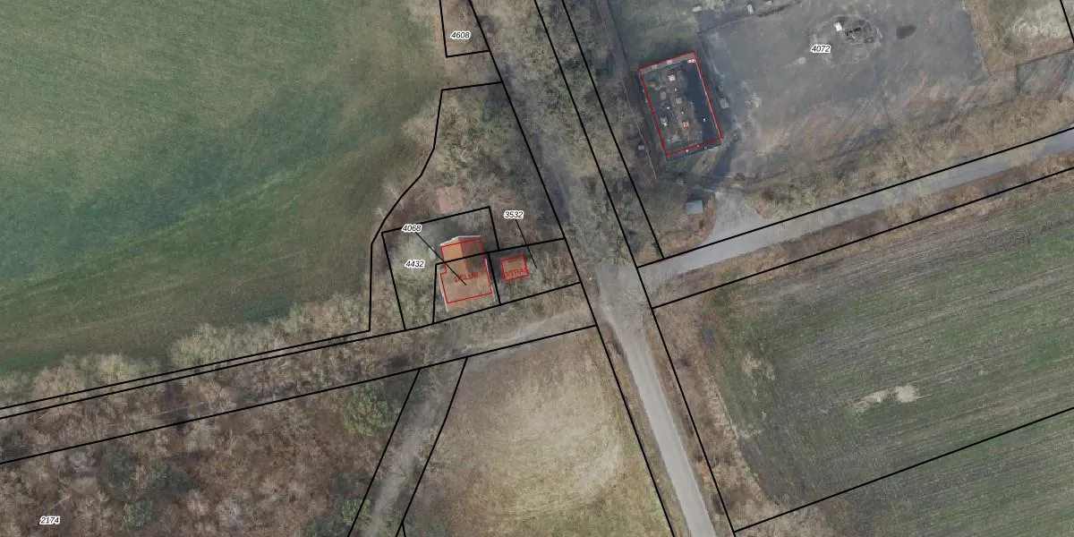
Perceel: DNK00-A-3532
KadastraleKaart.com kan meer dan je denktOntdek meer ›
Filter op bestemming 50+ datasets Eigendomsdata in één klik Percelen CRM
110 m2 - 49 m
Eigenaar opvragen
DNK00-A-3532 (Denekamp)
- 7637 PZ
Ph8 zhHgztVWaEmspoo6oFCtUpgrade naar KadastraleKaart Pro
Bekijk op Street View
Download DWG/DXF/Excel
f zlsJI69sZ97 o6EuxUpgrade naar KadastraleKaart Pro
Czun1GB857y3wf74S3 AIP6Upgrade naar KadastraleKaart Pro
5QJS JhHYHs7bNUpgrade naar KadastraleKaart Pro
fz4WKDv70h yUPjUpgrade naar KadastraleKaart Pro
AtinxG2VUpgrade naar KadastraleKaart Pro
e1mI61a4uT 8hUpgrade naar KadastraleKaart Pro
2O6Sj LwUpgrade naar KadastraleKaart Pro
p 6eceDpJmUpgrade naar KadastraleKaart Pro
u8 XR0Y5JUpgrade naar KadastraleKaart Pro
VDYIYxN7Upgrade naar KadastraleKaart Pro
17/03/2005

Percelen
Gebruik de zoekbalk of klik op een perceel om informatie over het perceel te bekijken.