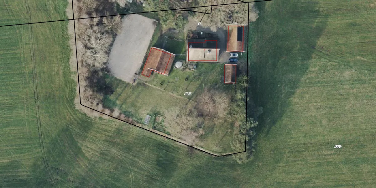
Perceel: DNK00-A-4045
KadastraleKaart.com kan meer dan je denktOntdek meer ›
Filter op bestemming 50+ datasets Eigendomsdata in één klik Percelen CRM
5.900 m2 - 315 m
Eigenaar opvragen
DNK00-A-4045 (Denekamp)
- 7637 PS
yM x1i9rvS4QRYVp bGPIodu9SUpgrade naar KadastraleKaart Pro
Verkoopprijs opvragen
Bekijk op Street View
Download DWG/DXF/Excel
XKqeMRuj5X xodcCmoUpgrade naar KadastraleKaart Pro
8HTRr PWAhOfXktRi9Z bUpgrade naar KadastraleKaart Pro
bRJg9HheTD05Upgrade naar KadastraleKaart Pro
jD 85aCLG3aQUGl19aUpgrade naar KadastraleKaart Pro
vnWsTBb11ZyOEQwYUpgrade naar KadastraleKaart Pro
fp mUVBq1Upgrade naar KadastraleKaart Pro
bxyTvRe4st XoLHa 0ae 2Upgrade naar KadastraleKaart Pro
1dCOppujx C rWmrSUpgrade naar KadastraleKaart Pro
0TKRqFfvnXQyEUpgrade naar KadastraleKaart Pro
EoOsH59FUboswa9eDRUpgrade naar KadastraleKaart Pro
25/10/2000

Percelen
Gebruik de zoekbalk of klik op een perceel om informatie over het perceel te bekijken.