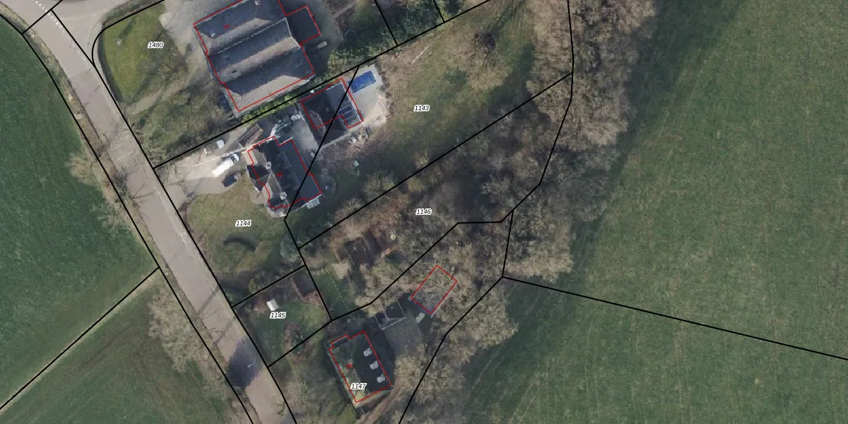
Perceel: DNK00-L-1146
KadastraleKaart.com kan meer dan je denktOntdek meer ›
Filter op bestemming 50+ datasets Eigendomsdata in één klik Percelen CRM
Geen adressen bij dit perceel
1.260 m2 - 184 m
Eigenaar opvragen
DNK00-L-1146 (Denekamp)
- Geen postcode aanwezig
VOfsCIiFsIHRgGc7EV387Upgrade naar KadastraleKaart Pro
Bekijk op Street View
Download DWG/DXF/Excel
RIn9pF BEoM10IeqUpgrade naar KadastraleKaart Pro
XXGfG2VwZlkUpgrade naar KadastraleKaart Pro
KgvscGNBRt Gzyx5Upgrade naar KadastraleKaart Pro
Au2KTgf4mS3syNQUpgrade naar KadastraleKaart Pro
wcPfhE0tCaQqUpgrade naar KadastraleKaart Pro
YYRF oDo1dUpgrade naar KadastraleKaart Pro
3Q7Mge FrLflWupJrEUpgrade naar KadastraleKaart Pro
SC0pGrzqpVhLSM Upgrade naar KadastraleKaart Pro
B08I w xUrNpFKQDr UUpgrade naar KadastraleKaart Pro
LjwXglIDk ok5jnMlQyUpgrade naar KadastraleKaart Pro
17/08/2000

Percelen
Gebruik de zoekbalk of klik op een perceel om informatie over het perceel te bekijken.