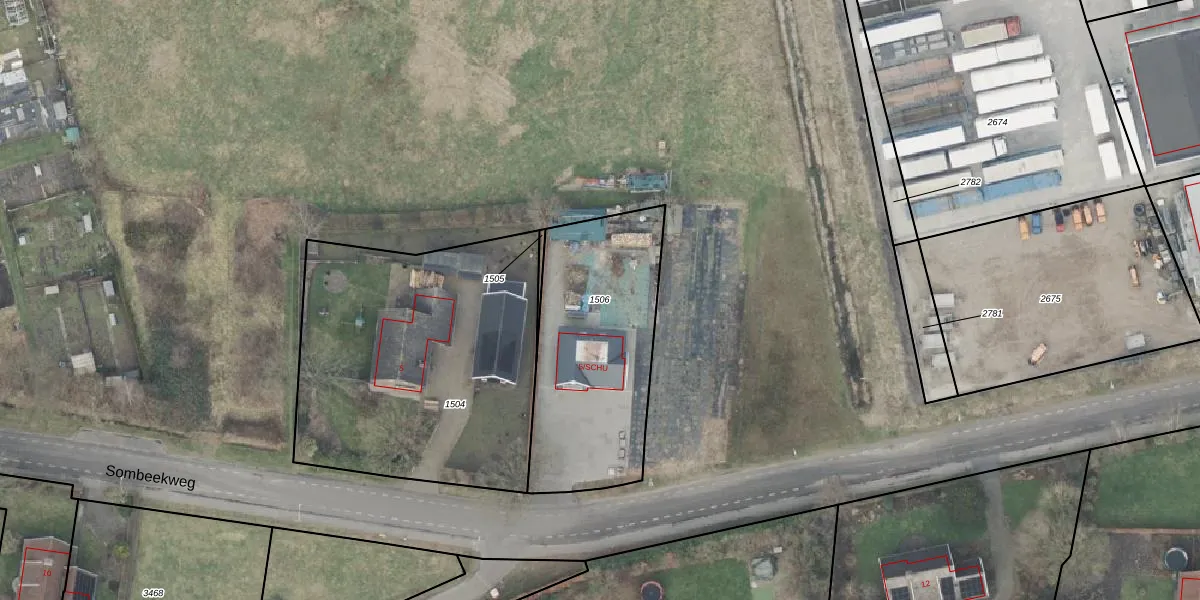
Perceel: DNK00-P-1506
KadastraleKaart.com kan meer dan je denktOntdek meer ›
Filter op bestemming 50+ datasets Eigendomsdata in één klik Percelen CRM
837 m2 - 130 m
Eigenaar opvragen
DNK00-P-1506 (Denekamp)
- Geen postcode aanwezig
RWTIgsZyKA2M6GyvyT9oUpgrade naar KadastraleKaart Pro
Bekijk op Street View
Download DWG/DXF/Excel
0WY95NU8Gj w ljZofJ9U Upgrade naar KadastraleKaart Pro
z6pJx4wEXVUpgrade naar KadastraleKaart Pro
zJj 026PeGbNi0Uzd8HWLxAUpgrade naar KadastraleKaart Pro
CjOwntwCyGGVSytIeUpgrade naar KadastraleKaart Pro
5wlofIz3QNt wZQqUpgrade naar KadastraleKaart Pro
aVkerNxceWhOY9TUUpgrade naar KadastraleKaart Pro
e7LUBV 7Upgrade naar KadastraleKaart Pro
ZCOXlYCA3OUzGdN9UyotUpgrade naar KadastraleKaart Pro
nmPfAYUHlTyohuP9u Fs Upgrade naar KadastraleKaart Pro
YMLCk7D1u QgHNFUpgrade naar KadastraleKaart Pro
18/09/2012

Percelen
Gebruik de zoekbalk of klik op een perceel om informatie over het perceel te bekijken.