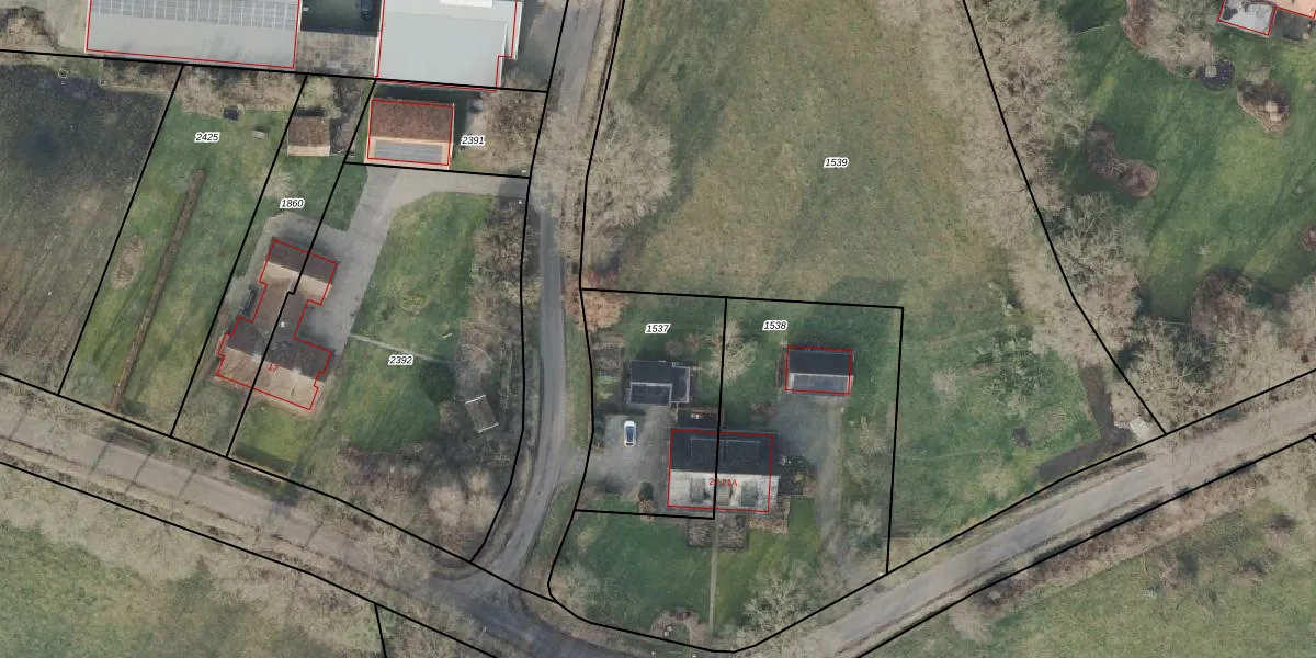
Perceel: DNK00-P-1537
KadastraleKaart.com kan meer dan je denktOntdek meer ›
Filter op bestemming 50+ datasets Eigendomsdata in één klik Percelen CRM
680 m2 - 111 m
Eigenaar opvragen
DNK00-P-1537 (Denekamp)
- 7591 NB
KoOdWfrhiDfN7NRcK Q4ccUpgrade naar KadastraleKaart Pro
Bekijk op Street View
Download DWG/DXF/Excel
61Rj dn8IcgJuqmBUOc3ZUpgrade naar KadastraleKaart Pro
Dn85X51bf Upgrade naar KadastraleKaart Pro
e 7h1QQj8tzsjfFMn2kHyUpgrade naar KadastraleKaart Pro
OMjCmibf QbvGubmIqlR kUpgrade naar KadastraleKaart Pro
LEyJtTa5nEP CdaUpgrade naar KadastraleKaart Pro
ad3lMhd4Upgrade naar KadastraleKaart Pro
PyoOeUUakY54xuGUpgrade naar KadastraleKaart Pro
Oi7L7x Tg sMUpgrade naar KadastraleKaart Pro
i8 m7DYAoj0PxfH8t Upgrade naar KadastraleKaart Pro
D4xbhyU7twrG Upgrade naar KadastraleKaart Pro
25/08/2003

Percelen
Gebruik de zoekbalk of klik op een perceel om informatie over het perceel te bekijken.