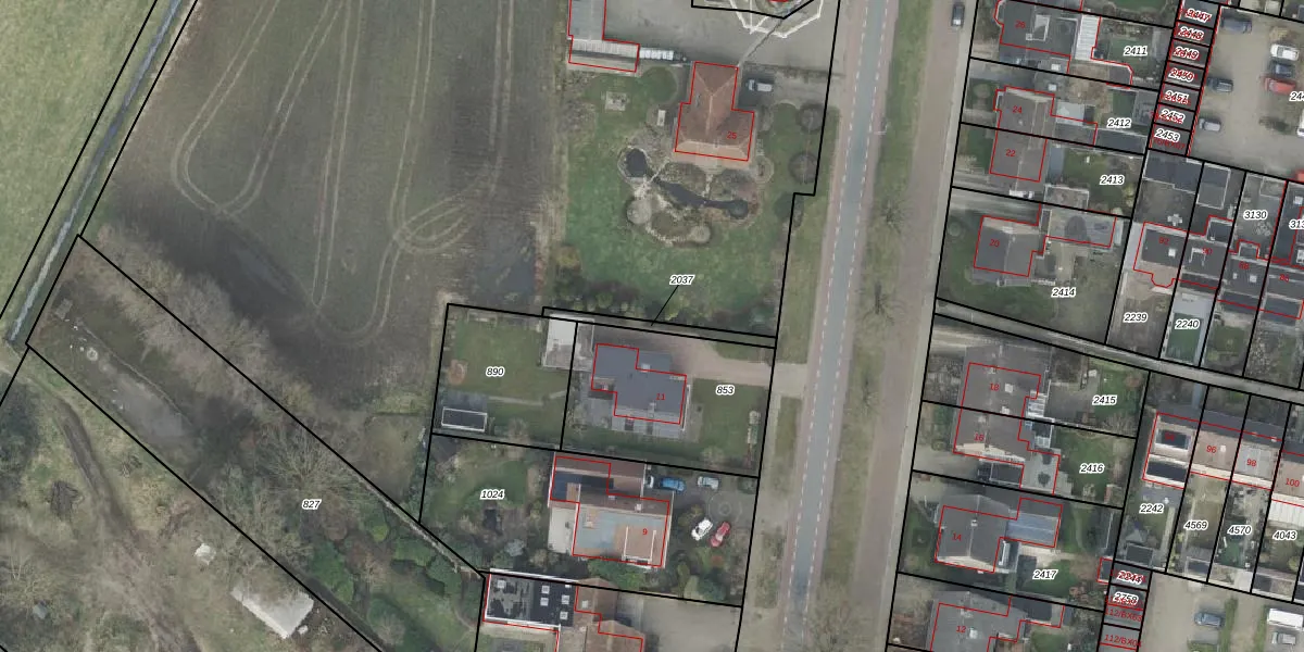
Perceel: DNK00-P-2037
KadastraleKaart.com kan meer dan je denktOntdek meer ›
Filter op bestemming 50+ datasets Eigendomsdata in één klik Percelen CRM
Geen adressen bij dit perceel
55 m2 - 75 m
Eigenaar opvragen
DNK00-P-2037 (Denekamp)
- Geen postcode aanwezig
v2Q POC0qpXR9lq2dwr7Upgrade naar KadastraleKaart Pro
Bekijk op Street View
Download DWG/DXF/Excel
Q r3RGKPL1JHWNLpy51RepUpgrade naar KadastraleKaart Pro
q PemrZdHDk4gGZBVYJunrUpgrade naar KadastraleKaart Pro
1 5zeU9ohXw7 GfWtBh3wUpgrade naar KadastraleKaart Pro
JDw9QGqEV0kJn9Upgrade naar KadastraleKaart Pro
t d7IpKZ EzI oz l TUpgrade naar KadastraleKaart Pro
1QJwpHgRKA5SUpgrade naar KadastraleKaart Pro
KnZ5dBo e7zUpgrade naar KadastraleKaart Pro
vGeEBNjAIi9c j3UkO70p Upgrade naar KadastraleKaart Pro
CbFPF ZUbgadHrw6L 0 Upgrade naar KadastraleKaart Pro
w6YsgOu1FMPoCiUpgrade naar KadastraleKaart Pro
11/11/2011

Percelen
Gebruik de zoekbalk of klik op een perceel om informatie over het perceel te bekijken.