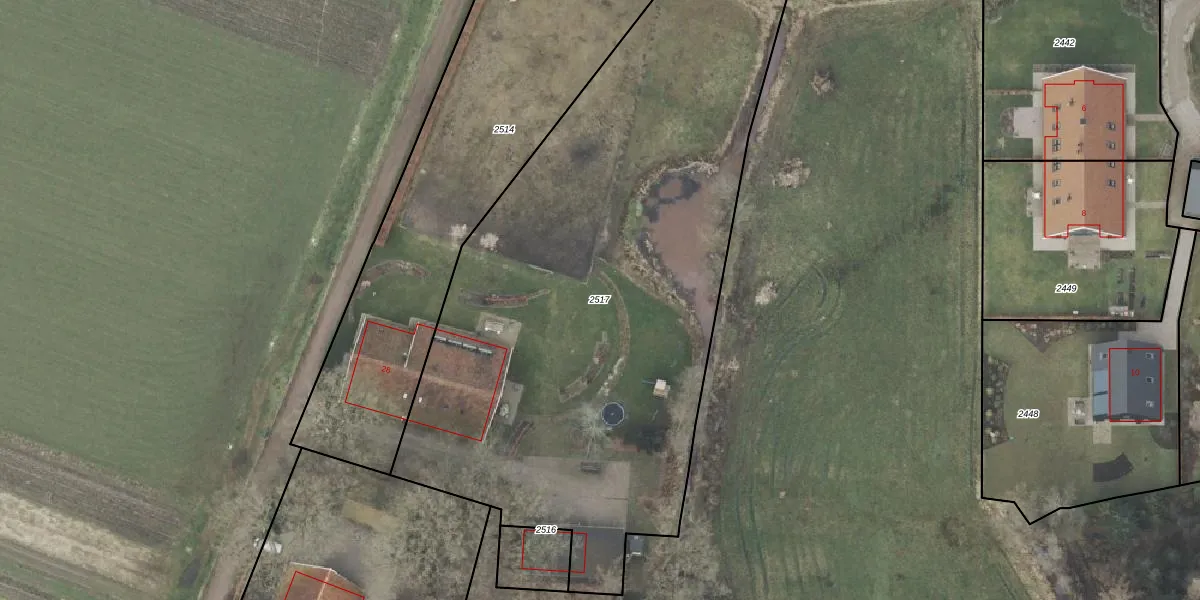
Perceel: DNK00-P-2517
KadastraleKaart.com kan meer dan je denktOntdek meer ›
Filter op bestemming 50+ datasets Eigendomsdata in één klik Percelen CRM
3.635 m2 - 283 m
Eigenaar opvragen
DNK00-P-2517 (Denekamp)
- 7591 PT
r2Wpsq7p4cktoDgxJY WqtDFUpgrade naar KadastraleKaart Pro
Bekijk op Street View
Download DWG/DXF/Excel
Kw4F7ZPfY8Fz0QJV1paclDUpgrade naar KadastraleKaart Pro
vZqMeL 3yc GKQUpgrade naar KadastraleKaart Pro
jFIq0uA7RUpgrade naar KadastraleKaart Pro
7AMJmf4cFBiU8mrNZIM 9Upgrade naar KadastraleKaart Pro
eQqPPgymUpgrade naar KadastraleKaart Pro
tgI jhl9Upgrade naar KadastraleKaart Pro
l0U5eaAuGNFkTObTFUpgrade naar KadastraleKaart Pro
4 ioTgibpIrA2TCVoz0 1nRUpgrade naar KadastraleKaart Pro
JtMHFRrBbNc6vuE3 Oo D Upgrade naar KadastraleKaart Pro
yQFxgyWjzSxtVCfITJbKxUpgrade naar KadastraleKaart Pro
09/10/2023

Percelen
Gebruik de zoekbalk of klik op een perceel om informatie over het perceel te bekijken.