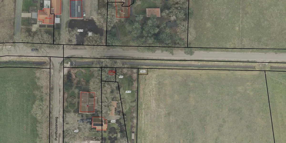
Perceel: DNK00-P-2802
KadastraleKaart.com kan meer dan je denktOntdek meer ›
Filter op bestemming 50+ datasets Eigendomsdata in één klik Percelen CRM
Geen adressen bij dit perceel
28 m2 - 22 m
Eigenaar opvragen
DNK00-P-2802 (Denekamp)
- Geen postcode aanwezig
k bw PmLIR MNif iD0bvKQHD65OeFUpgrade naar KadastraleKaart Pro
Bekijk op Street View
Download DWG/DXF/Excel
1 dMPk7kyYun1oaUpgrade naar KadastraleKaart Pro
RuYjArGsm0Upgrade naar KadastraleKaart Pro
eARvSk815ObPVJjY2UT1iVZUpgrade naar KadastraleKaart Pro
I 7k9OSMID60wUpgrade naar KadastraleKaart Pro
216Q S7AWarxmX8p1hIUUpgrade naar KadastraleKaart Pro
arPKCYoa j bWUpgrade naar KadastraleKaart Pro
EUoR7k9R2ig0qafCjVK2ZWeUpgrade naar KadastraleKaart Pro
zqvsjljBJm9KmqzUpgrade naar KadastraleKaart Pro
Y NfD5j EzUpgrade naar KadastraleKaart Pro
0cNDfQJLn6 rHsLcmoUpgrade naar KadastraleKaart Pro
18/09/2025

Percelen
Gebruik de zoekbalk of klik op een perceel om informatie over het perceel te bekijken.