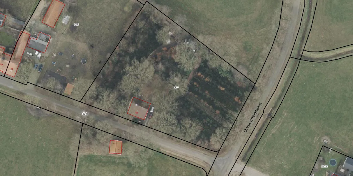
Perceel: DNK00-P-307
KadastraleKaart.com kan meer dan je denktOntdek meer ›
Filter op bestemming 50+ datasets Eigendomsdata in één klik Percelen CRM
4.580 m2 - 273 m
Eigenaar opvragen
DNK00-P-307 (Denekamp)
- 7591 AV
mEdIOfQfl4NdelGs68306MhyC Ai7Upgrade naar KadastraleKaart Pro
Bekijk op Street View
Download DWG/DXF/Excel
X M0e2ukUpgrade naar KadastraleKaart Pro
MbQ xK OUpgrade naar KadastraleKaart Pro
IGu l u Dosy OJozcTsUpgrade naar KadastraleKaart Pro
rrig n3Ik0 yRUvBu2QUpgrade naar KadastraleKaart Pro
9tWcfyDXv 54fGK4EgK Upgrade naar KadastraleKaart Pro
5dosCL7SYfb1lI v te3hz Upgrade naar KadastraleKaart Pro
MKbwbdoKYhdUpgrade naar KadastraleKaart Pro
1RlOyJgUpgrade naar KadastraleKaart Pro
zw 338Pyt fVxu iv29eUpgrade naar KadastraleKaart Pro
Tb3MJjNe0f0VkoG3WIUpgrade naar KadastraleKaart Pro
28/11/2000

Percelen
Gebruik de zoekbalk of klik op een perceel om informatie over het perceel te bekijken.