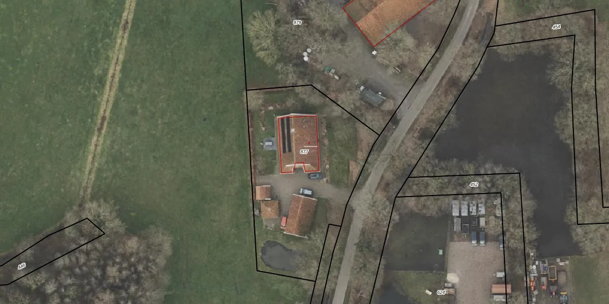
Perceel: DNK00-Q-877
KadastraleKaart.com kan meer dan je denktOntdek meer ›
Filter op bestemming 50+ datasets Eigendomsdata in één klik Percelen CRM
1.920 m2 - 184 m
Eigenaar opvragen
DNK00-Q-877 (Denekamp)
- 7636 PZ
MXTzAKtOfvw dlUrCkWUpgrade naar KadastraleKaart Pro
Verkoopprijs opvragen
Bekijk op Street View
Download DWG/DXF/Excel
l 9p8Vdx2tUpgrade naar KadastraleKaart Pro
x42EkfL4SUNcLC9VUpgrade naar KadastraleKaart Pro
sIOpt mF30dJriZ Upgrade naar KadastraleKaart Pro
K6LPIaekUpgrade naar KadastraleKaart Pro
OybNlTvxmxbQhC rW3Upgrade naar KadastraleKaart Pro
B D0AwqlnbWMHLQwivUpgrade naar KadastraleKaart Pro
ENrI8Qb5oqrmHYVFh3OyfOQUpgrade naar KadastraleKaart Pro
ZnSd9wO7jZ WOpIKU 3Upgrade naar KadastraleKaart Pro
oOhMqW wn97u2Upgrade naar KadastraleKaart Pro
KPSjSfmFD4iUpgrade naar KadastraleKaart Pro
03/07/2000

Percelen
Gebruik de zoekbalk of klik op een perceel om informatie over het perceel te bekijken.