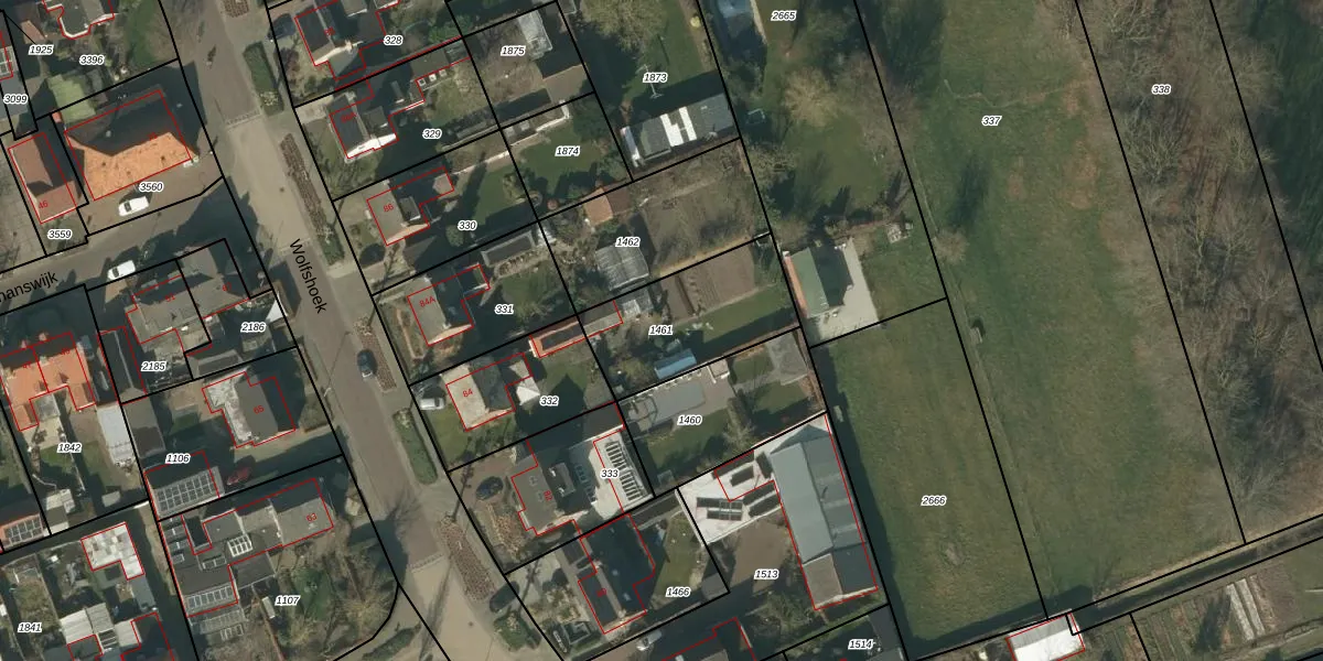
Perceel: DNN00-K-1461
KadastraleKaart.com kan meer dan je denktOntdek meer ›
Filter op bestemming 50+ datasets Eigendomsdata in één klik Percelen CRM
Geen adressen bij dit perceel
460 m2 - 91 m
Eigenaar opvragen
DNN00-K-1461 (Drunen)
- Geen postcode aanwezig
z5uG 3Vo9cRzAzRH tu0r4WUpgrade naar KadastraleKaart Pro
Bekijk op Street View
Download DWG/DXF/Excel
n XWsvLrxqgUpgrade naar KadastraleKaart Pro
BTJQgZzMiLdyGTmxUpgrade naar KadastraleKaart Pro
B93XxkH R1 CD1qOT Upgrade naar KadastraleKaart Pro
dOUtPs oP7PKf Upgrade naar KadastraleKaart Pro
pBAMhQcsT wL8Ln2LUpgrade naar KadastraleKaart Pro
zF6 9y0Z1Upgrade naar KadastraleKaart Pro
80JphpXq2s25Upgrade naar KadastraleKaart Pro
TwUButFoxKV YCnWG2Upgrade naar KadastraleKaart Pro
PLO0VuG6tooEaHL0jYXDftUpgrade naar KadastraleKaart Pro
Eu5ACO52IVaAfTL4S6teUpgrade naar KadastraleKaart Pro
23/03/2007

Percelen
Gebruik de zoekbalk of klik op een perceel om informatie over het perceel te bekijken.