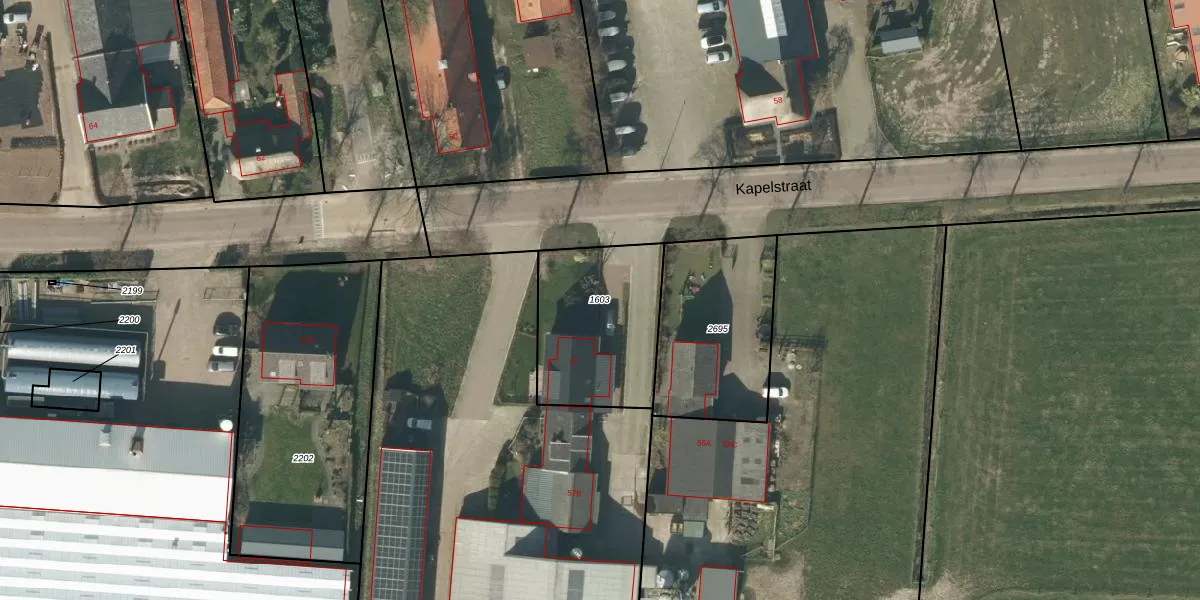
Perceel: DNN00-K-1603
KadastraleKaart.com kan meer dan je denktOntdek meer ›
Filter op bestemming 50+ datasets Eigendomsdata in één klik Percelen CRM
555 m2 - 94 m
Eigenaar opvragen
DNN00-K-1603 (Drunen)
- 5154 AV
1NM WABzCFZ AcV VVUpgrade naar KadastraleKaart Pro
Verkoopprijs opvragen
Bekijk op Street View
Download DWG/DXF/Excel
xZEvtGInMHs99HYUpgrade naar KadastraleKaart Pro
pOabvrsojTVhyH 8KZUAn6bUpgrade naar KadastraleKaart Pro
G Fcp6XuRVI4Upgrade naar KadastraleKaart Pro
uhTzPbz GjRcshhUX6 CkTCUpgrade naar KadastraleKaart Pro
Whr3rMuoWcgxtx9lYUpgrade naar KadastraleKaart Pro
k2h1S 7M5a7Upgrade naar KadastraleKaart Pro
sVX1rx2U91rJx nU4cC95NoUpgrade naar KadastraleKaart Pro
k48UYBBRl5aYUpgrade naar KadastraleKaart Pro
C2K9 0vDUKv eMjyZD706rUpgrade naar KadastraleKaart Pro
BdQ20crGaUpgrade naar KadastraleKaart Pro
23/03/2007

Percelen
Gebruik de zoekbalk of klik op een perceel om informatie over het perceel te bekijken.