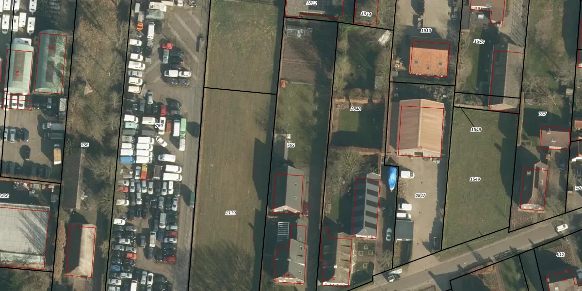
Perceel: DNN00-K-763
KadastraleKaart.com kan meer dan je denktOntdek meer ›
Filter op bestemming 50+ datasets Eigendomsdata in één klik Percelen CRM
1.880 m2 - 239 m
Eigenaar opvragen
DNN00-K-763 (Drunen)
- 5151 RM
ft7SVgBtIFpwlXr8PApD9z0vvUpgrade naar KadastraleKaart Pro
Bekijk op Street View
Download DWG/DXF/Excel
Sy616rIVoy5Zo4 iUpgrade naar KadastraleKaart Pro
cMrJECDKXmKNCUpgrade naar KadastraleKaart Pro
hxNNNRt7bNj3yf uM2IMidUpgrade naar KadastraleKaart Pro
m7 52eRb b41o2QSo H2JUpgrade naar KadastraleKaart Pro
ngkJD8cIansllCk8Upgrade naar KadastraleKaart Pro
ek KP 8mvz xKUpgrade naar KadastraleKaart Pro
odEC uW06rNUpgrade naar KadastraleKaart Pro
1DqjASfw 4FnhVM A9Upgrade naar KadastraleKaart Pro
lPlBSv2xL GeLUpgrade naar KadastraleKaart Pro
s8SXBk8iSiUpgrade naar KadastraleKaart Pro
13/03/2007

Percelen
Gebruik de zoekbalk of klik op een perceel om informatie over het perceel te bekijken.