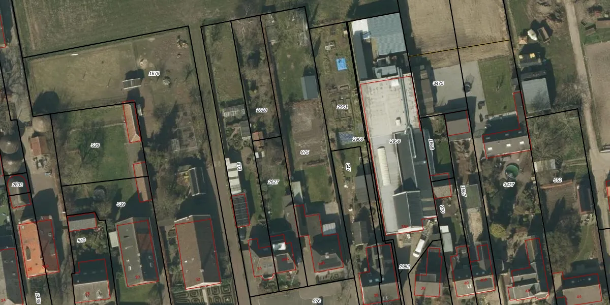
Perceel: DNN00-K-975
KadastraleKaart.com kan meer dan je denktOntdek meer ›
Filter op bestemming 50+ datasets Eigendomsdata in één klik Percelen CRM
1.325 m2 - 211 m
Eigenaar opvragen
DNN00-K-975 (Drunen)
- 5154 AP
W nS1MBqefJQpwMiCTLX3bgTCtGSsXVUpgrade naar KadastraleKaart Pro
Bekijk op Street View
Download DWG/DXF/Excel
OcP6AY50zFBV kLBMDx7uUpgrade naar KadastraleKaart Pro
g55 p6edZOcOVX2fxUpgrade naar KadastraleKaart Pro
5J wdsXdhpsapZIo1Upgrade naar KadastraleKaart Pro
bA CnaKmmMUpgrade naar KadastraleKaart Pro
GyfaCCiw4Y2DUpgrade naar KadastraleKaart Pro
WPR7xepRiWdGUpgrade naar KadastraleKaart Pro
IFrOAKCD Cl CJ Upgrade naar KadastraleKaart Pro
56uKd0I2EUpgrade naar KadastraleKaart Pro
CIGn VxMH1YQvS3NrUpgrade naar KadastraleKaart Pro
whbP1VoIUpgrade naar KadastraleKaart Pro
05/04/2013

Percelen
Gebruik de zoekbalk of klik op een perceel om informatie over het perceel te bekijken.