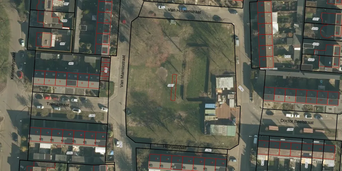
Perceel: DNN00-L-1007
KadastraleKaart.com kan meer dan je denktOntdek meer ›
Filter op bestemming 50+ datasets Eigendomsdata in één klik Percelen CRM
4.650 m2 - 268 m
Eigenaar opvragen
DNN00-L-1007 (Drunen)
- 5151 CZ
wURN14zfiolQKcLt40u4IzLAH 4U1lUpgrade naar KadastraleKaart Pro
Bekijk op Street View
Download DWG/DXF/Excel
TvMw r K5M2N sa1Ngt0fUpgrade naar KadastraleKaart Pro
86MV1qMExOVAUUpgrade naar KadastraleKaart Pro
X5d4Sb7JppJMXdIovgf4Upgrade naar KadastraleKaart Pro
Kui6BMsHsgBteIeulNbicUpgrade naar KadastraleKaart Pro
8rZ q17ZSisg6H5zv48Upgrade naar KadastraleKaart Pro
lRVOR3TNhd wQ316g PUpgrade naar KadastraleKaart Pro
nP i8q mQKUpgrade naar KadastraleKaart Pro
zjwQ I7HgUpgrade naar KadastraleKaart Pro
L2cy myx6P B2XH02Upgrade naar KadastraleKaart Pro
wXhZAINBsfHvUpgrade naar KadastraleKaart Pro
15/03/2007

Percelen
Gebruik de zoekbalk of klik op een perceel om informatie over het perceel te bekijken.