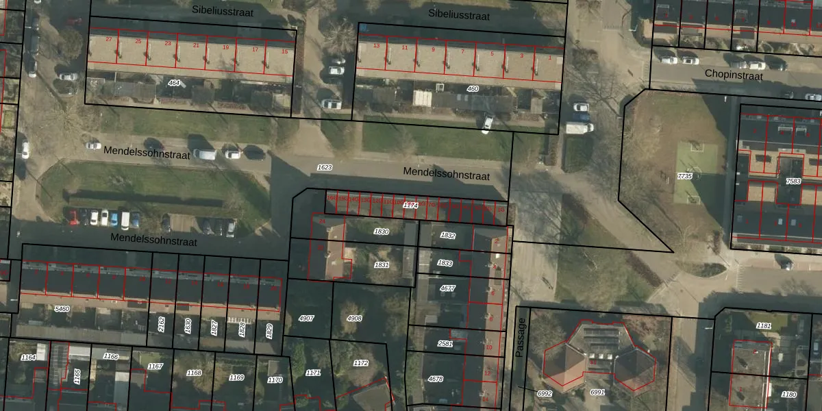
Perceel: DNN00-L-1174
KadastraleKaart.com kan meer dan je denktOntdek meer ›
Filter op bestemming 50+ datasets Eigendomsdata in één klik Percelen CRM
271 m2 - 101 m
Eigenaar opvragen
DNN00-L-1174 (Drunen)
- 5151 LA
p9g2oqFgz 6zVwS Jqmf5BK3Upgrade naar KadastraleKaart Pro
Bekijk op Street View
Download DWG/DXF/Excel
yRi CT7mSduNUpgrade naar KadastraleKaart Pro
ND Tn K63TXr7JFz hUpgrade naar KadastraleKaart Pro
TY Lmowu w8jxUpgrade naar KadastraleKaart Pro
ntumSQ RUpgrade naar KadastraleKaart Pro
5Wsu4prY6xJS Hccv3l2KUpgrade naar KadastraleKaart Pro
gxl LPeESUpgrade naar KadastraleKaart Pro
veffXAQtkiaCsj9nhiUpgrade naar KadastraleKaart Pro
7SYX j81rNUpgrade naar KadastraleKaart Pro
O eo 9Mf8x Upgrade naar KadastraleKaart Pro
Yd2xImHjtyVUpgrade naar KadastraleKaart Pro
14/03/2007

Percelen
Gebruik de zoekbalk of klik op een perceel om informatie over het perceel te bekijken.